Votre courriel a été envoyé.
166 Davis Dr Terrain à louer de 0,77 acres • Terrain commercial • Newmarket, ON L3Y 2L8


Certaines informations ont été traduites automatiquement.
Faits saillants
- Cette propriété comprend environ 0,77 acres de terrain commercial, offrant une flexibilité pour une gamme d'options de développement.
- Le site est disponible pour un bail foncier ou une construction sur mesure, ce qui le rend adaptable pour les locataires ou les développeurs à la recherche d'un espace commercial personnalisé.
- Il est zoné MU-2, ce qui permet une variété d'usages commerciaux et de détail, y compris un futur réaménagement.
LOT Disponible
Afficher les taux de location en
| Taux de location |
|
Taille du lot | 0,77 AC |
| Durée du bail | Négociable |
| Taux de location | |
| Durée du bail | Négociable |
| Taille du lot | 0,77 AC |
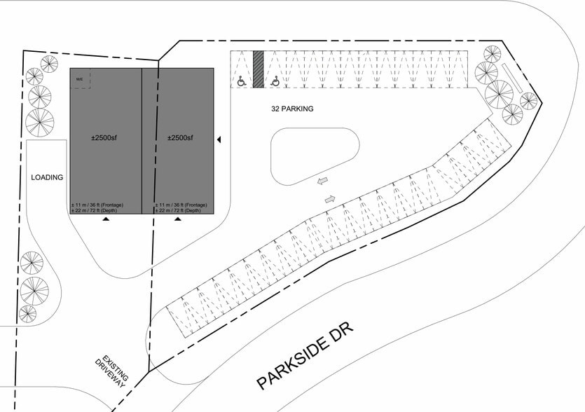
+/- 0,77 ACRES | LOCATION DE TERRAIN OU OPPORTUNITÉ DE CONSTRUCTION SUR MESURE
Aperçu de la propriété
Le 166 Davis Drive offre environ 0,77 acres de terrain commercial stratégiquement situé le long de l'un des corridors les plus fréquentés de Newmarket. Zoné MU-2, le site permet une variété d'usages commerciaux et de détail, ce qui le rend adapté aux développements sur mesure ou aux opportunités de location de terrain. La parcelle totalise 33 541 pieds carrés et offre une excellente accessibilité piétonne avec un Walk Score de 90, garantissant une forte accessibilité pour les clients et le personnel. Situé à proximité de nombreux services et options de transport, y compris la proximité de la station GO de Newmarket, ce site à haute visibilité est bien adapté pour les locataires ou les développeurs cherchant une empreinte commerciale flexible dans un nœud urbain en croissance.
Faits sur la propriété
| Superficie totale disponible | 0,77 AC | Sous-type de propriété | Terrain commercial |
| Type de propriété | Terrain | Utilisation proposée | Commerce de détail |
| Superficie totale disponible | 0,77 AC |
| Type de propriété | Terrain |
| Sous-type de propriété | Terrain commercial |
| Utilisation proposée | Commerce de détail |
Présenté par
166 Davis Dr
Hmm, il semble y avoir eu une erreur lors de l’envoi de votre message. Veuillez réessayer.
Merci! Votre message a été envoyé.
