Se Connecter/S’inscrire
Votre courriel a été envoyé.
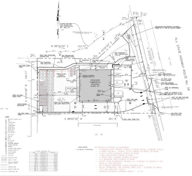
Approved Building & Engineering Site Plans 1671 Route 34 9 400 pi² Industriel Immeuble Wall Township, NJ 07727 1 162 486 $ CAD (123,67 $ CAD/pi²)



Certaines informations ont été traduites automatiquement.
Faits saillants de l'investissement
- 1 acre ou plus avec ±6 400 pieds 2, plus une mezzanine de bureaux
- Approbation préalable du conseil d'urbanisme et approbation pour la cour de l'entrepreneur
- À moins d'un demi-mile de l'aéroport de Monmouth Executive
- Façades et visibilité élevée sur la route 34 très fréquentée
- Les utilisations permises comprennent la fourniture en gros de matériel électrique, de plomberie, de chauffage et de refroidissement, la location d'équipement, les pépinières, l'entrepôt des entrepreneurs, etc.
- Nombre de trafic - 32 813 VPD (2019)
Résumé de l'annonce
Site industriel/commercial à vendre avec l'approbation préalable du Conseil d'urbanisme. Visibilité élevée et nombre de trafic élevé avec 233 pieds de façade sur la route 34 Sud. À proximité d'autres grandes autoroutes, dont 195, 138, 18, 33 et de la Garden State Parkway.
Faits sur la propriété
| Prix | 1 162 486 $ CAD | État de la construction | Proposé |
| Prix par pi² | 123,67 $ CAD | Aire du bâtiment louable | 9 400 pi² |
| Type de vente | Investissement | Nombre d’étages | 2 |
| Type de propriété | Industriel | Location | Unique |
| Classe d’immeuble | B | Nbre d’entrées dans les portes/au niveau du sol | 1 |
| Taille du lot | 1,03 AC | ||
| Zonage | GI-2 | ||
| Prix | 1 162 486 $ CAD |
| Prix par pi² | 123,67 $ CAD |
| Type de vente | Investissement |
| Type de propriété | Industriel |
| Classe d’immeuble | B |
| Taille du lot | 1,03 AC |
| État de la construction | Proposé |
| Aire du bâtiment louable | 9 400 pi² |
| Nombre d’étages | 2 |
| Location | Unique |
| Nbre d’entrées dans les portes/au niveau du sol | 1 |
| Zonage | GI-2 |
Impôts fonciers
| Numéro de lot | 52-00917-01-00096 | Évaluation des bâtiments | 0 $ CAD |
| Évaluation du terrain | 330 146 $ CAD | Évaluation totale | 330 146 $ CAD |
Impôts fonciers
Numéro de lot
52-00917-01-00096
Évaluation du terrain
330 146 $ CAD
Évaluation des bâtiments
0 $ CAD
Évaluation totale
330 146 $ CAD
1 de 6
Vidéos
Visite extérieure 3D Matterport
Visite 3D Matterport
Photos
Vue depuis la rue
Rue
Carte
Présenté par
Research In Progress
Approved Building & Engineering Site Plans | 1671 Route 34
Vous êtes déjà membre? Connectez-vous
Hmm, il semble y avoir eu une erreur lors de l’envoi de votre message. Veuillez réessayer.
Merci! Votre message a été envoyé.
Votre message a été envoyé !
Activez votre compte LoopNet dès maintenant pour suivre les propriétés, recevoir des alertes en temps réel, gagner du temps sur vos demandes futures et bien plus encore.

