Se Connecter/S’inscrire
Votre courriel a été envoyé.
Certaines informations ont été traduites automatiquement.
Faits sur la propriété
| Prix | 1 368 500 $ CAD | Sous-type de propriété | Terrain commercial |
| Type de vente | Investissement | Utilisation proposée | Commercial |
| Nombre de lots | 1 | Taille totale du lot | 3,15 AC |
| Type de propriété | Terrain | Zone de développement économique |
Oui
|
| Zonage | PUD - DÉVELOPPEMENT À UNITÉS PLANIFIÉES | ||
| Prix | 1 368 500 $ CAD |
| Type de vente | Investissement |
| Nombre de lots | 1 |
| Type de propriété | Terrain |
| Sous-type de propriété | Terrain commercial |
| Utilisation proposée | Commercial |
| Taille totale du lot | 3,15 AC |
| Zone de développement économique |
Oui |
| Zonage | PUD - DÉVELOPPEMENT À UNITÉS PLANIFIÉES |
1 Lot disponible
Lot
| Prix | 1 368 500 $ CAD | Taille du lot | 3,15 AC |
| Prix par AC | 434 444,44 $ CAD |
| Prix | 1 368 500 $ CAD |
| Prix par AC | 434 444,44 $ CAD |
| Taille du lot | 3,15 AC |
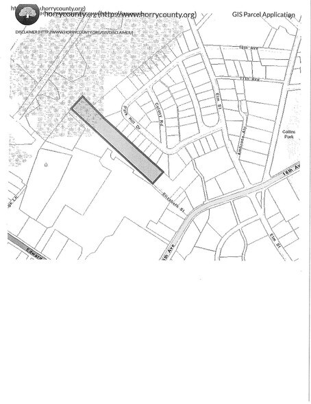
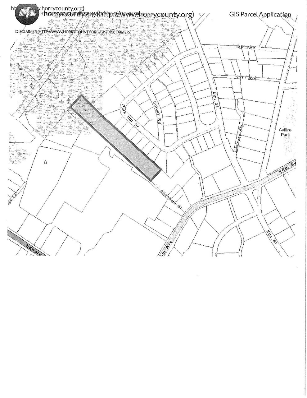
Land for sale behind Coastal Centre in Conway, SC.
1 1
Assez practicable à pied
40/100
Très facile d'accès en voiture
80/100
Assez praticable en vélo
30/100
Impôts fonciers
| Numéro de lot | 33810020019 | Évaluation des bâtiments | 0 $ CAD |
| Évaluation du terrain | 0 $ CAD | Évaluation totale | 143 736 $ CAD |
Impôts fonciers
Numéro de lot
33810020019
Évaluation du terrain
0 $ CAD
Évaluation des bâtiments
0 $ CAD
Évaluation totale
143 736 $ CAD
1 de 3
Vidéos
Visite extérieure 3D Matterport
Visite 3D Matterport
Photos
Vue depuis la rue
Rue
Carte
1 de 1
Présenté par
16th Ave & Elizabeth St
Vous êtes déjà membre? Connectez-vous
Hmm, il semble y avoir eu une erreur lors de l’envoi de votre message. Veuillez réessayer.
Merci! Votre message a été envoyé.


