Votre courriel a été envoyé.
New Construction | Walmart OP Hartwell, GA 1700 Anderson 1 440–7 820 pi² d'espace disponible • Commerce de détail • 4 étoiles • Hartwell, GA 30643

Certaines informations ont été traduites automatiquement.
Faits saillants
- Positioned directly in front of Walmart and Home Depot.
- Two full-access points on Walmart Drive for easy ingress/egress.
- Late 2026 delivery with flexible space configurations
- Surrounded by national retailers including Starbucks and Taco Bell.
- Strong demographics with high household income and growth
- Drive Thru End Cap Available
Disponibilité de l’espace (1)
Afficher les taux de location en
- Espace
- Taille
- Terme
- Taux de location
- Type de loyer
| Espace | Taille | Terme | Taux de location | Type de loyer | ||
| 1er étage | 1 440 à 7 820 pi² | Négociable | Sur demande Sur demande Sur demande Sur demande | Négociable |
1er étage
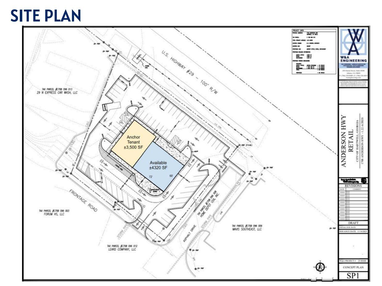
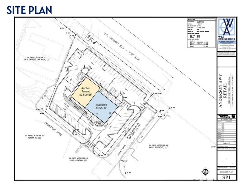
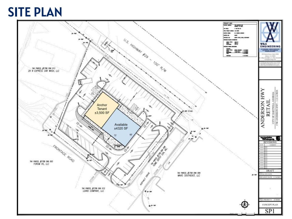
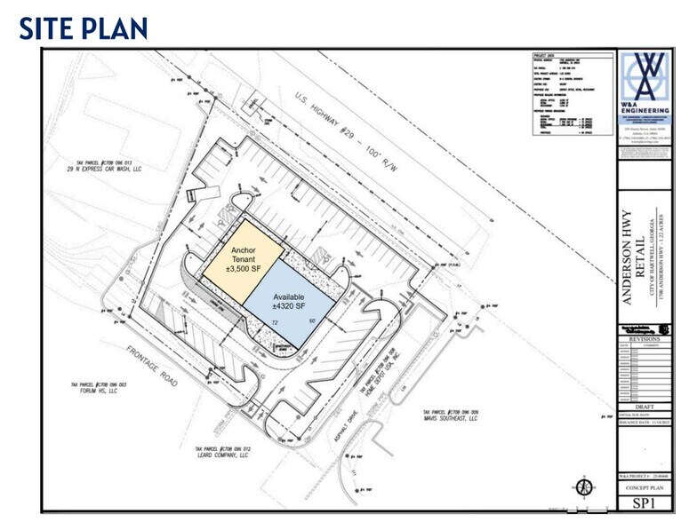
Reedy River Retail at SVN Palmetto is pleased to present a multi tenant development opportunity of ±7,820 SF in front of Walmart and Home Depot in Hartwell, GA. The Hartwell market continues to expand with new subdivisions under construction in and around Lake Hartwell, which also drives tourism for a large portion of the year. Recent commercial development in the area includes a new Starbucks, Popeyes, and Taco Bell. Additionally, a new Mavis Tire, T-Mobile, and Take-5 have been constructed directly adjacent to this site. With excellent visibility and natural traffic generators like Walmart and Home Depot, this location is ideal to accommodate retail, medical, or bank use.
- Situé en ligne avec d’autres commerces de détail
- ± 19,500 VPD on Anderson Hwy
- Ideal for Retail, Medical, Service
- Multi-Tenant Retail
- Two points of Full Access on Walmart Dr
Types de loyers
Le type et le montant du loyer que le locataire (preneur) est tenu de payer au propriétaire (bailleur) sur la durée du bail sont négociés avant la signature du bail par les deux parties. Le type de loyer varie selon les services fournis. Par exemple, le prix d’un loyer hypernet est habituellement inférieur à celui d’un bail à service complet puisque le locataire est tenu d’assumer des dépenses additionnelles par rapport au loyer de base. Contactez le courtier inscripteur pour tout connaître sur les frais connexes et additionnels associés à chaque type de loyer.
1. Service complet: Un taux de location qui comprend des services standards liés à l’immeuble fournis par le propriétaire dans le cadre d’une location annuelle de base.
2. Loyer supernet: Le locataire paie seulement deux des frais de l’immeuble. Le propriétaire et le locataire déterminent ces frais spécifiques avant la signature du bail.
3. Loyer hypernet: Un bail en vertu duquel le locataire est responsable de tous les frais liés à sa part proportionnelle d’occupation de l’immeuble.
4. Brut modifié: Le loyer brut modifié désigne un type général de taux de location dans lequel le locataire est habituellement responsable de sa part proportionnelle d’un ou de plusieurs frais. C’est le propriétaire qui paie les frais restants. Considérez les structures tarifaires courantes suivantes applicables aux loyers bruts modifiés: 4. Plus les services: Un type de bail brut modifié suivant lequel le locataire est responsable de sa part proportionnelle des coûts des services publics, en plus du loyer. 4. Plus le nettoyage: Un type de bail brut modifié suivant lequel le locataire est responsable de sa part proportionnelle des coûts de nettoyage, en plus du loyer. 4. Plus l'électricité: Un type de bail brut modifié suivant lequel le locataire est responsable de sa part proportionnelle des coûts d’électricité, en plus du loyer. 4. Plus l’électricité et le nettoyage: Un type de bail brut modifié dans lequel le locataire est responsable de sa part proportionnelle des coûts d’électricité et de nettoyage, en plus du loyer. 4. Plus les services publics et le nettoyage: Un type de bail brut modifié dans lequel le locataire est responsable de sa part proportionnelle des coûts des services publics et de nettoyage, en plus du loyer. 4. Bail industriel brut: Un type de bail brut modifié dans lequel le locataire paie un ou plusieurs des frais, en plus du loyer. Le propriétaire et le locataire déterminent ces frais spécifiques avant la signature du bail.
5. L’électricité est à la charge du locataire: Le propriétaire paie pour tous les services et le locataire est responsable de sa propre utilisation de l’éclairage et des prises électriques dans l’espace qu’il occupe.
6. Négociable ou sur demande: Cette option est utilisée lorsque le contact de location ne précise pas le type de loyer ou de service.
7. À déterminer: À déterminer ; utilisé pour les immeubles dont le type de services ou de loyer n’est pas connu, souvent quand l’immeuble n’est pas encore construit.
Faits sur la propriété
| Superficie totale disponible | 7 820 pi² | Superficie commerciale brute | 7 820 pi² |
| Min. divisible | 1 440 pi² | Année de construction | 2027 |
| Type de propriété | Commerce de détail | Ratio de stationnement | 10/1 000 pi² |
| Sous-type de propriété | Boutique | État de la construction | Proposé |
| Superficie totale disponible | 7 820 pi² |
| Min. divisible | 1 440 pi² |
| Type de propriété | Commerce de détail |
| Sous-type de propriété | Boutique |
| Superficie commerciale brute | 7 820 pi² |
| Année de construction | 2027 |
| Ratio de stationnement | 10/1 000 pi² |
| État de la construction | Proposé |
À propos de la propriété
The property is a planned multi-tenant retail development located at 1700 Anderson Highway in Hartwell, GA. It is situated on approximately 1.21 acres in front of Walmart and Home Depot, with access from Walmart Drive and visibility along Anderson Highway. The site is zoned B-2 and will include approximately 66 parking spaces. The surrounding area includes national retailers and recent commercial developments.
- Restaurant
- Affichage
- Service au volant
Principaux détaillants à proximité
Présenté par
New Construction | Walmart OP Hartwell, GA | 1700 Anderson
Hmm, il semble y avoir eu une erreur lors de l’envoi de votre message. Veuillez réessayer.
Merci! Votre message a été envoyé.



