Se Connecter/S’inscrire
Votre courriel a été envoyé.
17007 Old Richmond rd - Imperial Retreat Townhomes Lot • Terrain commercial • 3,58 Acres • Sugar Land, TX 77498


Certaines informations ont été traduites automatiquement.
Faits saillants de l'investissement
- Fully entitled shovel ready project
- Suitable for build-to-rent (BTR) or for-sale product
- Strong demand submarket in Fort Bend County
Résumé de l'annonce
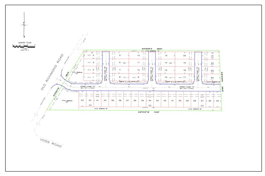
Property is fully platted for a 43-lot single-family community with public and private plans approved by Fort Bend County and the City of Houston.
Includes completed home plans allowing for a streamlined path to development. Ideal for builders or investors seeking a ready-to-develop project in a high-growth area. Convenient access to major roadways, retail, and established neighborhoods.
- Fully entitled 43-lot development
- Approved engineering and site plans in place
- Home plans (~2,000 SF) included
- Suitable for build-to-rent (BTR) or for-sale product
- Reduced timeline and entitlement risk
- Strong demand submarket in Fort Bend County
Includes completed home plans allowing for a streamlined path to development. Ideal for builders or investors seeking a ready-to-develop project in a high-growth area. Convenient access to major roadways, retail, and established neighborhoods.
- Fully entitled 43-lot development
- Approved engineering and site plans in place
- Home plans (~2,000 SF) included
- Suitable for build-to-rent (BTR) or for-sale product
- Reduced timeline and entitlement risk
- Strong demand submarket in Fort Bend County
Faits sur la propriété
| Type de vente | Investissement ou propriétaire utilisateur | Type de propriété | Terrain |
| Conditions de vente | Sous-type de propriété | Terrain commercial | |
| Nombre de lots | 1 | Taille totale du lot | 3,58 AC |
| Type de vente | Investissement ou propriétaire utilisateur |
| Conditions de vente | |
| Nombre de lots | 1 |
| Type de propriété | Terrain |
| Sous-type de propriété | Terrain commercial |
| Taille totale du lot | 3,58 AC |
1 Lot disponible
Lot
| Taille du lot | 3,58 AC |
| Taille du lot | 3,58 AC |
±3.5 acres of undeveloped land located at 17007 Old Richmond Road in Sugar Land, Texas.
1 1
Assez praticable à pied
40/100
Exceptionnellement facile d’accès en voiture
100/100
Moyennement praticable en vélo
70/100
1 de 3
Vidéos
Visite extérieure 3D Matterport
Visite 3D Matterport
Photos
Vue depuis la rue
Rue
Carte
1 de 1
Présenté par
17007 Old Richmond rd - Imperial Retreat Townhomes
Vous êtes déjà membre? Connectez-vous
Hmm, il semble y avoir eu une erreur lors de l’envoi de votre message. Veuillez réessayer.
Merci! Votre message a été envoyé.
