Se Connecter/S’inscrire
Votre courriel a été envoyé.
Certaines informations ont été traduites automatiquement.
Faits saillants de l'investissement
- 42,500 Cars/Day Alton Parkway Street Frontage (Caltrans 2023)
- Two Points of Access Kettering Street & Alton Parkway (Verify)
Résumé de l'annonce
The strategically advantageous 5.1 IBC Multi-Use zoning offers flexibility, allowing for a diverse range of business operations, including light manufacturing/assembly, warehousing, distribution, and R&D facilities. Furthermore, the potential for residential development may be realized through appropriate city entitlements, providing even greater possibilities. Perfectly positioned within a one-mile radius of premium retail amenities, including The District at Tustin Legacy, Diamond Jamboree, Von Karman Plaza, and Mess Hall at FLIGHT, 1711 Kettering offers an ideal location for businesses seeking convenience, accessibility, and a thriving local ecosystem.
Faits sur la propriété
1 Lot disponible
Lot
| Taille du lot | 1,20 AC |
| Taille du lot | 1,20 AC |
1711 Kettering presents a unique redevelopment opportunity. The site, having been cleared of its previous industrial structure, is now a blank canvas awaiting your vision.
Description
L'ancien bâtiment industriel a été démoli. Plan hypothétique pour ±25 900 pi² comprenant 4 400 pi² de bureaux, 4 portes au niveau du sol, 2 quais de chargement surélevés et 40 espaces de stationnement. Accès depuis Kettering Street et Alton Parkway.
1 1
Moyennement practicable à pied
60/100
Exceptionnellement facile d'accès en voiture
100/100
Transports en commun limités
20/100
Moyennement praticable en vélo
60/100
Impôts fonciers
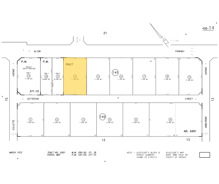
| Numéro de lot | 430-141-04 | Évaluation des bâtiments | 1 149 335 $ CAD |
| Évaluation du terrain | 344 459 $ CAD | Évaluation totale | 1 493 794 $ CAD |
Impôts fonciers
Numéro de lot
430-141-04
Évaluation du terrain
344 459 $ CAD
Évaluation des bâtiments
1 149 335 $ CAD
Évaluation totale
1 493 794 $ CAD
1 de 3
Vidéos
Visite extérieure 3D Matterport
Visite 3D Matterport
Photos
Vue depuis la rue
Rue
Carte
1 de 1
Présenté par
1711 Kettering St
Vous êtes déjà membre? Connectez-vous
Hmm, il semble y avoir eu une erreur lors de l’envoi de votre message. Veuillez réessayer.
Merci! Votre message a été envoyé.


