Se Connecter/S’inscrire
Votre courriel a été envoyé.
Certaines informations ont été traduites automatiquement.
Faits saillants de l'investissement
- Immeuble autoportant avec un accès au volant
- La région est en train d'élaborer un nouvel immeuble de vente au détail multi-locataires
- Plus de 20 véhicules par jour
Résumé de l'annonce
Opportunité d'investissement privilégiée pour posséder ou louer des espaces d'atelier et/ou des espaces de travail.
Faits sur la propriété
1 Lot disponible
Lot
| Taille du lot | 0,99 AC |
| Taille du lot | 0,99 AC |
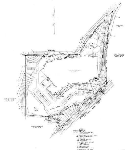
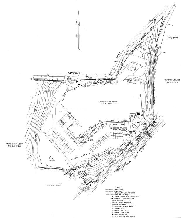
La zone de développement est idéalement située à proximité de l'I-75. Athènes est à mi-chemin entre Chattanooga et Knoxville.
Description
Ce terrain est situé à proximité de McMinn County Grade Schools (K-12), City & County Administrative Operations, Tennessee College of Applied Technology et McMinn County Vocational School
1 1
Assez praticable à pied
40/100
Exceptionnellement facile d’accès en voiture
100/100
Assez praticable en vélo
20/100
Impôts fonciers
| Numéro de lot | 056I-A-005.00 | Évaluation des bâtiments | 2 715 $ CAD |
| Évaluation du terrain | 514 644 $ CAD | Évaluation totale | 517 359 $ CAD |
Impôts fonciers
Numéro de lot
056I-A-005.00
Évaluation du terrain
514 644 $ CAD
Évaluation des bâtiments
2 715 $ CAD
Évaluation totale
517 359 $ CAD
1 de 7
Vidéos
Visite extérieure 3D Matterport
Visite 3D Matterport
Photos
Vue depuis la rue
Rue
Carte
1 de 1
Présenté par
1712 Congress Pky
Vous êtes déjà membre? Connectez-vous
Hmm, il semble y avoir eu une erreur lors de l’envoi de votre message. Veuillez réessayer.
Merci! Votre message a été envoyé.



