Votre courriel a été envoyé.
Certaines informations ont été traduites automatiquement.
Faits saillants de l'investissement
- Fully entitled 2.37-acre site with approved Tentative Map
- Final engineering through second plan check
- Strong resale comps averaging $570/SF
- Nine single-family lots with ADU potential
- Not in a fire severity zone; Vista Unified schools
- Density bonus potential up to 48 units post-close
Résumé de l'annonce
Faits sur la propriété
| Type de vente | Investissement | Sous-type de propriété | Résidentiel |
| Nombre de lots | 1 | Utilisation proposée | Développement familial unique |
| Type de propriété | Terrain | Taille totale du lot | 2,37 AC |
| Zonage | R-1-B - Résidentiel | ||
| Type de vente | Investissement |
| Nombre de lots | 1 |
| Type de propriété | Terrain |
| Sous-type de propriété | Résidentiel |
| Utilisation proposée | Développement familial unique |
| Taille totale du lot | 2,37 AC |
| Zonage | R-1-B - Résidentiel |
1 Lot disponible
Lot
| Taille du lot | 2,37 AC |
| Taille du lot | 2,37 AC |
Vacant land with uninhabitable single family structure built in 1945
Description
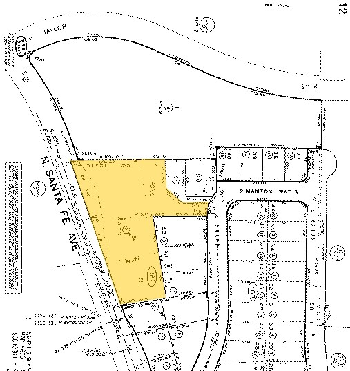
Situé au cœur de Vista, en Californie, le 1790 Knapp Drive offre une opportunité rare d'acquérir 2,37 acres de terrain résidentiel entièrement approuvé, avec une carte provisoire validée pour neuf maisons unifamiliales. Ce site est idéal pour un projet de développement de type "infill" boutique, proposant des lots d'une superficie moyenne de 7 774 pieds carrés et la possibilité d'ajouter des unités d'habitation accessoires (ADU) sur la plupart des parcelles. L'ingénierie finale a déjà passé sa deuxième phase de vérification des plans, simplifiant ainsi le chemin vers la construction. La propriété bénéficie de son emplacement dans la zone résidentielle à densité moyenne (MD 10 unités/acre) de la ville de Vista. Bien que l'autorisation actuelle permette la construction de neuf maisons, un bonus de densité post-achat pourrait permettre jusqu'à 48 unités. Le site n'est pas situé dans une zone de risque d'incendie et est desservi par le district scolaire unifié de Vista, le district d'irrigation de Vista et la zone de service d'égout OV05. Les frais d'impact liés au développement sont estimés à environ 49 965 $ par unité, sur la base d'une construction de 3 000 pieds carrés. Entouré de quartiers établis et à quelques minutes des parcs régionaux Rancho Guajome et Vista Sports Park, le site offre un mélange attrayant de tranquillité en banlieue et de proximité avec les commodités communautaires. Les améliorations nécessaires incluent l'élargissement de l'avenue N. Santa Fe, l'installation de lampadaires et l'enlèvement des rochers existants conformément au plan de nivellement. Une rue interne privée et une association de propriétaires (HOA) font également partie du plan de développement. Cette offre est idéale pour les constructeurs à la recherche d'un projet prêt à démarrer, avec des comparables de revente solides à une moyenne de 570 $/pi² et des ventes récentes allant de 1,05 M$ à 1,3 M$. Les offres doivent être soumises à Erin McKinley chez Colliers, et l'entiercement sera ouvert chez Lawyers Title & Escrow à San Diego.
Impôts fonciers
| Numéros de lot | Évaluation des bâtiments | 87 344 $ CAD | |
| Évaluation du terrain | 459 720 $ CAD | Évaluation totale | 547 065 $ CAD |
Impôts fonciers
Présenté par
1790 Knapp Dr
Hmm, il semble y avoir eu une erreur lors de l’envoi de votre message. Veuillez réessayer.
Merci! Votre message a été envoyé.



