Se Connecter/S’inscrire
Votre courriel a été envoyé.
Certaines informations ont été traduites automatiquement.
FAITS SAILLANTS DE L'INVESTISSEMENT
- #1 Croissance de l'emploi sur 3 ans aux États-Unis
- Croissance prévue de 9 % de l'emploi de 2023 à 2028
RÉSUMÉ DE L'ANNONCE
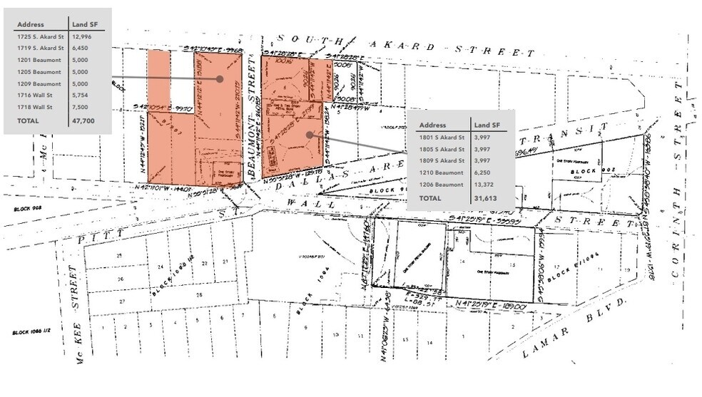
Site 2
Adresse 1801, rue S Akard, 1805, rue S Akard
1809, rue S Akard, 1210 Beaumont
1206 Beaumont
Taille du terrain (SF) 31,613 PI2
Superficie du terrain (AC) 0,73 Acres
Zonage DP 317 - Sous-district 2
Appel de prix pour la tarification
Adresse 1801, rue S Akard, 1805, rue S Akard
1809, rue S Akard, 1210 Beaumont
1206 Beaumont
Taille du terrain (SF) 31,613 PI2
Superficie du terrain (AC) 0,73 Acres
Zonage DP 317 - Sous-district 2
Appel de prix pour la tarification
FAITS SUR LA PROPRIÉTÉ
1 LOT DISPONIBLE
Lot
| Taille du lot | 0,73 AC |
| Taille du lot | 0,73 AC |
1 1
Impôts fonciers
| Numéros de lot | Évaluation des bâtiments | 153 137 $ CAD | |
| Évaluation du terrain | 1 414 733 $ CAD | Évaluation totale | 1 567 870 $ CAD |
Impôts fonciers
Numéros de lot
Évaluation du terrain
1 414 733 $ CAD
Évaluation des bâtiments
153 137 $ CAD
Évaluation totale
1 567 870 $ CAD
1 de 4
VIDÉOS
VISITE EXTÉRIEURE 3D MATTERPORT
VISITE 3D MATTERPORT
PHOTOS
VUE DEPUIS LA RUE
RUE
CARTE
1 de 1
Présenté par
1801 S Akard St - The Cedars Site 2
Vous êtes déjà membre? Connectez-vous
Hmm, il semble y avoir eu une erreur lors de l’envoi de votre message. Veuillez réessayer.
Merci! Votre message a été envoyé.



