Se Connecter/S’inscrire
Votre courriel a été envoyé.
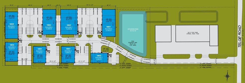
18051 Telge Rd
Cypress, TX 77429
Building 8 · Industriel Propriété À vendre


Certaines informations ont été traduites automatiquement.
Faits saillants de l'investissement
- Fully insulated metal construction with grade-level doors and 24-foot eave heights.
- Fenced and gated business park with outside storage and ample parking.
- 35-foot access drives and tractor-trailer accessibility for efficient logistics.
Résumé de l'annonce
Telge Oaks Business Park offers an exceptional opportunity to acquire newly constructed freestanding industrial buildings in the rapidly growing Cypress submarket. This development consists of eight buildings ranging from approximately 6,000 to 15,000 square feet, each designed with modern insulated metal construction and functional layouts. The park is fully fenced and gated, providing security and controlled access for owners and tenants.
Located within minutes of Grand Parkway, Highway 249, and Highway 290, the property ensures efficient regional connectivity for distribution, service, and light industrial operations. Each building features grade-level doors, ample parking, and outside storage capabilities, making them highly adaptable for a variety of business uses. Utilities are provided via NW HC MUD 5, and the site is outside the floodplain, reducing risk and enhancing long-term value.
With strong regional growth and proximity to major transportation corridors, Telge Oaks Business Park represents a compelling investment for owner-users and investors seeking quality industrial assets in a high-demand market.
Located within minutes of Grand Parkway, Highway 249, and Highway 290, the property ensures efficient regional connectivity for distribution, service, and light industrial operations. Each building features grade-level doors, ample parking, and outside storage capabilities, making them highly adaptable for a variety of business uses. Utilities are provided via NW HC MUD 5, and the site is outside the floodplain, reducing risk and enhancing long-term value.
With strong regional growth and proximity to major transportation corridors, Telge Oaks Business Park represents a compelling investment for owner-users and investors seeking quality industrial assets in a high-demand market.
Faits sur la propriété
| Type de vente | Propriétaire utilisateur | État de la construction | Proposé |
| Condition de vente | Option du bail | Aire du bâtiment louable | 12 960 pi² |
| Type de propriété | Industriel | Nombre d’étages | 1 |
| Sous-type de propriété | Entrepôt | Année de construction | 2027 |
| Classe d’immeuble | B | Effacer hauteur du plafond | 24’ |
| Taille du lot | 0,77 AC | Nbre d’entrées dans les portes/au niveau du sol | 3 |
| Zonage | N/A - N/A | ||
| Type de vente | Propriétaire utilisateur |
| Condition de vente | Option du bail |
| Type de propriété | Industriel |
| Sous-type de propriété | Entrepôt |
| Classe d’immeuble | B |
| Taille du lot | 0,77 AC |
| État de la construction | Proposé |
| Aire du bâtiment louable | 12 960 pi² |
| Nombre d’étages | 1 |
| Année de construction | 2027 |
| Effacer hauteur du plafond | 24’ |
| Nbre d’entrées dans les portes/au niveau du sol | 3 |
| Zonage | N/A - N/A |
Commodités
- Terrain clôturé
Services publics
- Éclairage
Impôts fonciers
| Numéro de lot | 0460950000004 | Évaluation des bâtiments | 3 168 437 $ CAD |
| Évaluation du terrain | 2 909 137 $ CAD | Évaluation totale | 6 077 574 $ CAD |
Impôts fonciers
Numéro de lot
0460950000004
Évaluation du terrain
2 909 137 $ CAD
Évaluation des bâtiments
3 168 437 $ CAD
Évaluation totale
6 077 574 $ CAD
1 de 4
Vidéos
Visite extérieure 3D Matterport
Visite 3D Matterport
Photos
Vue depuis la rue
Rue
Carte
