Se Connecter/S’inscrire
Votre courriel a été envoyé.
1812 Parmer Ln - 1.857 Acre Commercial Pad Lot • Terrain commercial • 1,85 Acres • 1 275 808 $ CAD • Austin, TX 78754



Certaines informations ont été traduites automatiquement.
Faits saillants de l'investissement
- 1,857 acres en plaques et rétention d'eau en place
- Bien positionné entre IH-35/Tech Ridge et SH 130
- Idéal pour le bureau, le bureau flexible ou le commerce de détail ou commercial de destination
- Emplacement commercial synergique, influencé par l'intersection de Dessau et E. Parmer
- À quelques minutes de Samsung, Dell, Qualcom, BAE et GM, avec un service de vente au détail dense et un développement résidentiel dans la région
Résumé de l'annonce
SVN | Traditions est heureuse d'offrir sur le marché ce site commercial de 1,857 acre, idéal pour les bureaux, les cabinets médicaux, les bureaux flexibles ou les commerces de détail de destination. Ce marché de l'intérieur est d'Austin est en plein essor, surtout dans les environs immédiats, avec plus de 1 000 nouveaux logements prévus près de l'installation existante de Samsung Semiconductor et les vastes choix de services de vente au détail associés aux Shops at Tech Ridge le long de l'IH-35. Il y a un certain nombre de projets résidentiels unifamiliaux existants et de nouveaux projets sont à l'horizon.
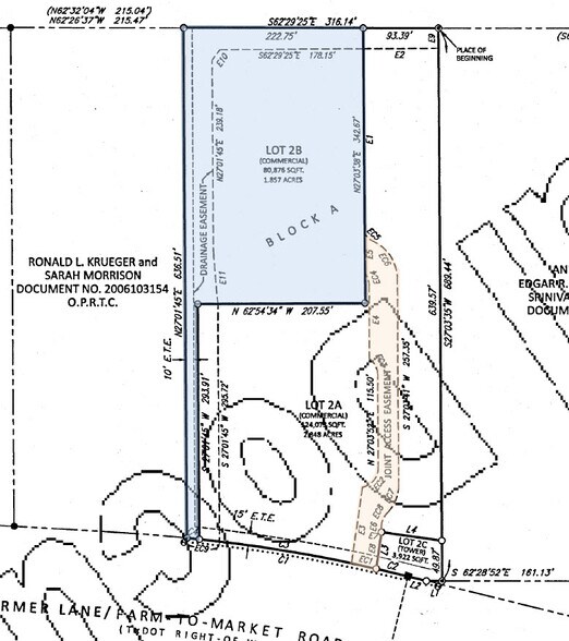
Le terrain en forme de drapeau est situé à l'arrière de CSL Plasma et est actuellement accessible par une servitude d'accès sur l'allée principale et les aires de stationnement de CSL Plasma. Le site possède une voie de 15 pieds non aménagée et à frais du côté ouest de CSL Plasma. Le site est prêt pour les pelles et bénéficie d'un système de retenue d'eau conçu pour CSL Plasma.
Le terrain en forme de drapeau est situé à l'arrière de CSL Plasma et est actuellement accessible par une servitude d'accès sur l'allée principale et les aires de stationnement de CSL Plasma. Le site possède une voie de 15 pieds non aménagée et à frais du côté ouest de CSL Plasma. Le site est prêt pour les pelles et bénéficie d'un système de retenue d'eau conçu pour CSL Plasma.
Faits sur la propriété
| Prix | 1 275 808 $ CAD | Utilisation proposée | Commercial |
| Type de vente | Investissement ou propriétaire utilisateur | Taille totale du lot | 1,85 AC |
| Nombre de lots | 1 | Rues transversales | Dessau |
| Type de propriété | Terrain | Zone de développement économique |
Oui
|
| Sous-type de propriété | Terrain commercial | ||
| Zonage | Austin ETJ | ||
| Prix | 1 275 808 $ CAD |
| Type de vente | Investissement ou propriétaire utilisateur |
| Nombre de lots | 1 |
| Type de propriété | Terrain |
| Sous-type de propriété | Terrain commercial |
| Utilisation proposée | Commercial |
| Taille totale du lot | 1,85 AC |
| Rues transversales | Dessau |
| Zone de développement économique |
Oui |
| Zonage | Austin ETJ |
1 Lot disponible
Lot
| Prix | 1 275 808 $ CAD | Taille du lot | 1,85 AC |
| Prix par AC | 689 625,70 $ CAD |
| Prix | 1 275 808 $ CAD |
| Prix par AC | 689 625,70 $ CAD |
| Taille du lot | 1,85 AC |
Description
Le site est situé du côté nord de la voie E. Parmer, à 900 pi au sud-est du chemin Dessau. Il y a une entrée et une sortie d'accès croisé au-dessus de la propriété CSL Plasma, en plus de la voie non aménagée de 15 pieds appartenant à des droits de propriété du côté ouest de la propriété CSL Plasma. L'accès principal serait l'utilisation de la servitude d'entrée et de sortie.
1 1
Impôts fonciers
| Numéro de lot | 921626 | Évaluation des bâtiments | 0 $ CAD |
| Évaluation du terrain | 1 659 939 $ CAD | Évaluation totale | 1 659 939 $ CAD |
Impôts fonciers
Numéro de lot
921626
Évaluation du terrain
1 659 939 $ CAD
Évaluation des bâtiments
0 $ CAD
Évaluation totale
1 659 939 $ CAD
1 de 11
Vidéos
Visite extérieure 3D Matterport
Visite 3D Matterport
Photos
Vue depuis la rue
Rue
Carte
1 de 1
Présenté par
1812 Parmer Ln - 1.857 Acre Commercial Pad
Vous êtes déjà membre? Connectez-vous
Hmm, il semble y avoir eu une erreur lors de l’envoi de votre message. Veuillez réessayer.
Merci! Votre message a été envoyé.
Votre message a été envoyé !
Activez votre compte LoopNet dès maintenant pour suivre les propriétés, recevoir des alertes en temps réel, gagner du temps sur vos demandes futures et bien plus encore.
