Votre courriel a été envoyé.
Polar Express-I-10 Katy Freeway & Cypress Run 18247 Katy fwy 2 000 pi² d'espace disponible • Commerce de détail • Houston, TX 77094



Certaines informations ont été traduites automatiquement.
FAITS SAILLANTS
- Heavy Traffic Via I-10
- Adjacent to Major Brand C-Store
- Brand New Construction
DISPONIBILITÉ DE L’ESPACE (1)
Afficher les taux de location en
- ESPACE
- TAILLE
- TERME
- TAUX DE LOCATION
- TYPE DE LOYER
| Espace | Taille | Terme | Taux de location | Type de loyer | ||
| 1er étage, ste 200 | 2 000 pi² | Négociable | 49,86 $ CAD/pi²/an 4,15 $ CAD/pi²/mois 99 714 $ CAD/an 8 309 $ CAD/mois | Loyer hypernet |
1er étage, ste 200
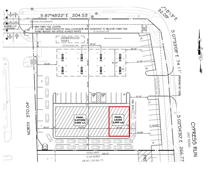
End Cap space consisting of approximately 2,000 SF in a new, proposed, Polar Express gas station. The space will be fit with double lane wrap around drive thru great for QSR concepts.
- Le taux de location ne comprend pas les services publics, les services de bâtiment ou les dépenses immobilières.
- Espace embout très recherché
- Service au volant
- High Traffic Via I-10/Katy Freeway
- Drive Thru Available
- Adjacent to new Polar Express major brand c-store
Types de loyers
Le type et le montant du loyer que le locataire (preneur) est tenu de payer au propriétaire (bailleur) sur la durée du bail sont négociés avant la signature du bail par les deux parties. Le type de loyer varie selon les services fournis. Par exemple, le prix d’un loyer hypernet est habituellement inférieur à celui d’un bail à service complet puisque le locataire est tenu d’assumer des dépenses additionnelles par rapport au loyer de base. Contactez le courtier inscripteur pour tout connaître sur les frais connexes et additionnels associés à chaque type de loyer.
1. Service complet: Un taux de location qui comprend des services standards liés à l’immeuble fournis par le propriétaire dans le cadre d’une location annuelle de base.
2. Loyer supernet: Le locataire paie seulement deux des frais de l’immeuble. Le propriétaire et le locataire déterminent ces frais spécifiques avant la signature du bail.
3. Loyer hypernet: Un bail en vertu duquel le locataire est responsable de tous les frais liés à sa part proportionnelle d’occupation de l’immeuble.
4. Brut modifié: Le loyer brut modifié désigne un type général de taux de location dans lequel le locataire est habituellement responsable de sa part proportionnelle d’un ou de plusieurs frais. C’est le propriétaire qui paie les frais restants. Considérez les structures tarifaires courantes suivantes applicables aux loyers bruts modifiés: 4. Plus les services: Un type de bail brut modifié suivant lequel le locataire est responsable de sa part proportionnelle des coûts des services publics, en plus du loyer. 4. Plus le nettoyage: Un type de bail brut modifié suivant lequel le locataire est responsable de sa part proportionnelle des coûts de nettoyage, en plus du loyer. 4. Plus l'électricité: Un type de bail brut modifié suivant lequel le locataire est responsable de sa part proportionnelle des coûts d’électricité, en plus du loyer. 4. Plus l’électricité et le nettoyage: Un type de bail brut modifié dans lequel le locataire est responsable de sa part proportionnelle des coûts d’électricité et de nettoyage, en plus du loyer. 4. Plus les services publics et le nettoyage: Un type de bail brut modifié dans lequel le locataire est responsable de sa part proportionnelle des coûts des services publics et de nettoyage, en plus du loyer. 4. Bail industriel brut: Un type de bail brut modifié dans lequel le locataire paie un ou plusieurs des frais, en plus du loyer. Le propriétaire et le locataire déterminent ces frais spécifiques avant la signature du bail.
5. L’électricité est à la charge du locataire: Le propriétaire paie pour tous les services et le locataire est responsable de sa propre utilisation de l’éclairage et des prises électriques dans l’espace qu’il occupe.
6. Négociable ou sur demande: Cette option est utilisée lorsque le contact de location ne précise pas le type de loyer ou de service.
7. À déterminer: À déterminer ; utilisé pour les immeubles dont le type de services ou de loyer n’est pas connu, souvent quand l’immeuble n’est pas encore construit.
PLAN DE SITE
FAITS SUR LA PROPRIÉTÉ
| Superficie totale disponible | 2 000 pi² | Année de construction | 2025 |
| Type de propriété | Commerce de détail | État de la construction | En construction |
| Sous-type de propriété | Restaurant | Rues transversales | Cypress Run |
| Superficie commerciale brute | 7 000 pi² |
| Superficie totale disponible | 2 000 pi² |
| Type de propriété | Commerce de détail |
| Sous-type de propriété | Restaurant |
| Superficie commerciale brute | 7 000 pi² |
| Année de construction | 2025 |
| État de la construction | En construction |
| Rues transversales | Cypress Run |
À PROPOS DE LA PROPRIÉTÉ
La propriété en question, comprenant un espace locatif proposé de 2 000 pi², sera située à côté d'une toute nouvelle station-service d'une grande marque. Le site se trouve à l'angle sud-ouest de Katy Freeway et Cypress Run, idéalement situé entre Grand Parkway et l'autoroute 6. Le site est mis en valeur par un accès au service au volant à double voie, ce qui sera avantageux pour les restaurants à service rapide (QSR) et autres locataires similaires. La propriété est située dans une zone densément peuplée, avec plus de 130 000 véhicules par jour circulant en direction est sur Katy Freeway. Pour plus d'informations, veuillez contacter le courtier inscripteur.
PRINCIPAUX DÉTAILLANTS À PROXIMITÉ
Présenté par
Polar Express-I-10 Katy Freeway & Cypress Run | 18247 Katy fwy
Hmm, il semble y avoir eu une erreur lors de l’envoi de votre message. Veuillez réessayer.
Merci! Votre message a été envoyé.
