Votre courriel a été envoyé.
18520 W 7 Mile Rd
Detroit, MI 48219
Seven Mile Development Lot · Terrain À vendre
·
1,78 AC


Certaines informations ont été traduites automatiquement.
FAITS SAILLANTS DE L'INVESTISSEMENT
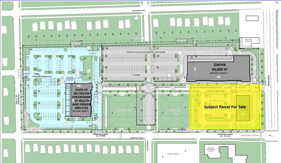
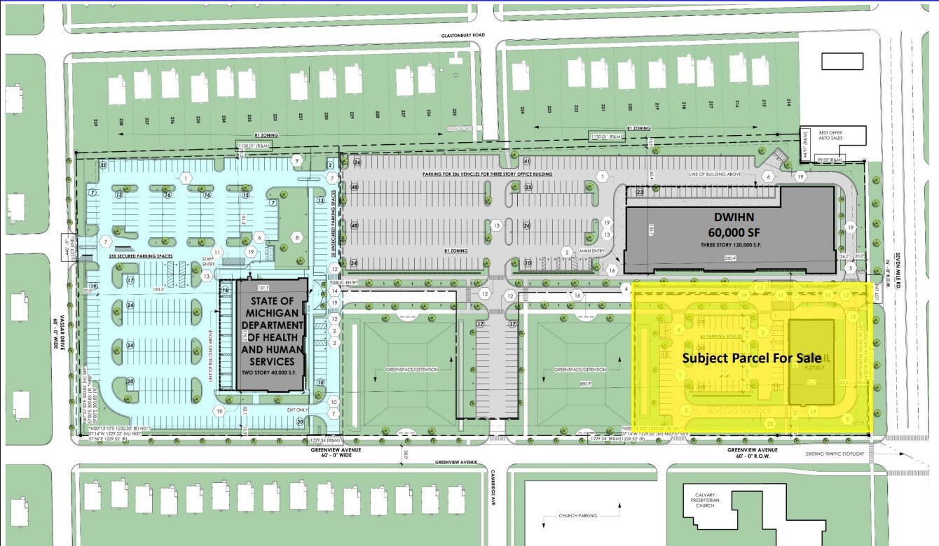
- 1.78 acres available for sale located off 7 Mile Road, just West of the Southfield Freeway.
- Prominently located in front of the Michigan Department of Health and Human Services and adjacent to the Detroit Wayne Integrated Health Network.
- The subject property is site plan approved for a 9,200-sf retail center with a drive-thru. All utilities available on-site, streamlining development.
RÉSUMÉ DE L'ANNONCE
FAITS SUR LA PROPRIÉTÉ
| Type de vente | Investissement | Sous-type de propriété | Terrain commercial |
| Nombre de lots | 1 | Utilisation proposée | |
| Type de propriété | Terrain | Taille totale du lot | 1,78 AC |
| Zonage | C-2 - Commercial | ||
| Type de vente | Investissement |
| Nombre de lots | 1 |
| Type de propriété | Terrain |
| Sous-type de propriété | Terrain commercial |
| Utilisation proposée | |
| Taille totale du lot | 1,78 AC |
| Zonage | C-2 - Commercial |
1 LOT DISPONIBLE
Lot
| Taille du lot | 1,78 AC |
| Taille du lot | 1,78 AC |
1.78 acres available for sale located off 7 Mile Road, just West of the Southfield Freeway.
DESCRIPTION
18520 W 7 Mile Road à Detroit, Michigan, est un terrain de développement commercial de 1,78 acre situé sur 7 Mile Road, juste à l'ouest de la Southfield Freeway. La propriété en question dispose d'un plan d'aménagement approuvé pour un centre commercial de 9 200 pieds carrés avec un service au volant. Tous les services publics sont disponibles sur place, ce qui simplifie le développement et réduit les délais de réalisation. Idéalement situé en face du Michigan Department of Health and Human Services (MDHHS) et adjacent au Detroit Wayne Integrated Health Network (DWIHN), le site attire des milliers de visiteurs quotidiens. La partie commerciale de la propriété offre une accessibilité exceptionnelle, avec plusieurs points d'accès qui assurent une circulation fluide et une entrée et sortie pratiques pour les clients, les locataires et les livraisons.
Impôts fonciers
| Numéro de lot | 22-017033-000 | Évaluation des bâtiments | 0 $ CAD |
| Évaluation du terrain | 0 $ CAD | Évaluation totale | 86 848 $ CAD |
