Se Connecter/S’inscrire
Votre courriel a été envoyé.
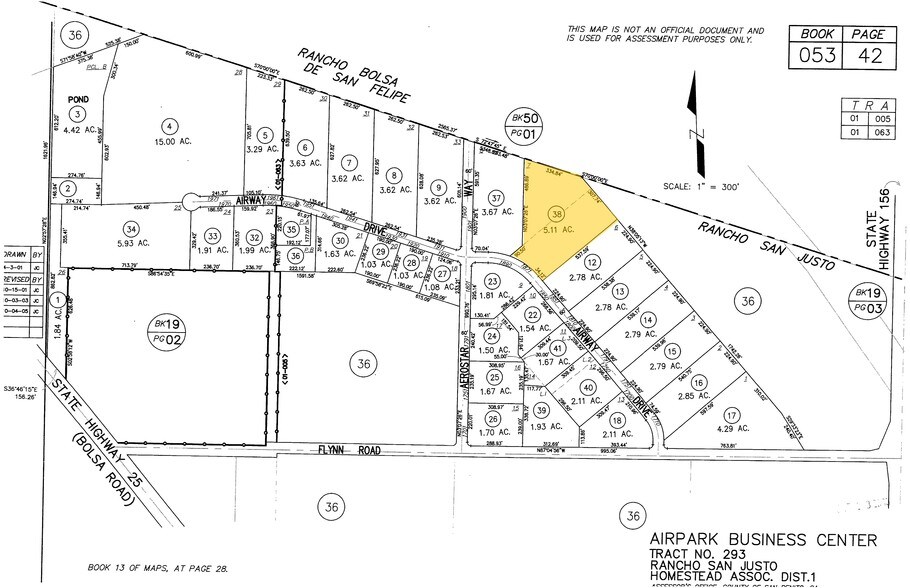
1871 Airway Dr - Lot 7-Aircraft Accessible Lots/Build-To-Suits Lot • Terrain commercial • 5,11 Acres • Hollister, CA 95023



Certaines informations ont été traduites automatiquement.
Faits saillants de l'investissement
- Flexible parcel configurations with options for large-scale combinations.
- Convenient access to major highways and downtown Hollister amenities.
- Fully improved lots with utilities and infrastructure in place.
Résumé de l'annonce
CARACTÉRISTIQUES DE LA PROPRIÉTÉ : www.airparkbusinesscenter.com < http://www.airparkbusinesscenter.com >
• Superficie totale : 9 lots totalisant ±25,78 acres
• Les lots se divisent en aussi peu que ±1,08 acres
• Les lots 1 à 4 peuvent être combinés à ±12,72 acres (accessible en taxi)
• Les lots 12-14 peuvent être combinés à ±6,06 acres
• Le lot 25 est de ±5,93 acres
• Quatre terrains sont accessibles aux taxis d'aéroport pour accueillir les entreprises qui desservent tous les aéronefs d'affaires ; des hangars d'aéroport privés, des hangars d'entretien et/ou des bureaux d'aviation/des quartiers de pilotes.
• Zoné : secteur industriel léger avec revêtement de soutien aéroportuaire (c.-à-d. aéroport pour l'industrie, les bureaux, les commerces de détail et les hôtels). Industrielle légère générale autorisée.
• Les terrains sont en pente accidentée avec rue, bordure, gouttière, eau, tempête, services publics et égouts.
• La piste principale de 6 350 pieds et le seuil de déplacement d'environ 1 150 pieds (7 500 pieds au total) peuvent accueillir de gros aéronefs d'affaires.
• Accès facile aux autoroutes 25, 152, 101 et 5.
• Près du centre-ville de Hollister, d'importants développements commerciaux et de restaurants.
• Superficie totale : 9 lots totalisant ±25,78 acres
• Les lots se divisent en aussi peu que ±1,08 acres
• Les lots 1 à 4 peuvent être combinés à ±12,72 acres (accessible en taxi)
• Les lots 12-14 peuvent être combinés à ±6,06 acres
• Le lot 25 est de ±5,93 acres
• Quatre terrains sont accessibles aux taxis d'aéroport pour accueillir les entreprises qui desservent tous les aéronefs d'affaires ; des hangars d'aéroport privés, des hangars d'entretien et/ou des bureaux d'aviation/des quartiers de pilotes.
• Zoné : secteur industriel léger avec revêtement de soutien aéroportuaire (c.-à-d. aéroport pour l'industrie, les bureaux, les commerces de détail et les hôtels). Industrielle légère générale autorisée.
• Les terrains sont en pente accidentée avec rue, bordure, gouttière, eau, tempête, services publics et égouts.
• La piste principale de 6 350 pieds et le seuil de déplacement d'environ 1 150 pieds (7 500 pieds au total) peuvent accueillir de gros aéronefs d'affaires.
• Accès facile aux autoroutes 25, 152, 101 et 5.
• Près du centre-ville de Hollister, d'importants développements commerciaux et de restaurants.
Faits sur la propriété
| Type de vente | Investissement | Sous-type de propriété | Terrain commercial |
| Nombre de lots | 1 | Utilisation proposée | |
| Type de propriété | Terrain | Taille totale du lot | 5,11 AC |
| Zonage | LI - Industriel léger | ||
| Type de vente | Investissement |
| Nombre de lots | 1 |
| Type de propriété | Terrain |
| Sous-type de propriété | Terrain commercial |
| Utilisation proposée | |
| Taille totale du lot | 5,11 AC |
| Zonage | LI - Industriel léger |
1 Lot disponible
Lot
| Taille du lot | 5,11 AC |
| Taille du lot | 5,11 AC |
1 1
Plutôt praticable à pied
30/100
Exceptionnellement facile d’accès en voiture
90/100
Assez praticable en vélo
20/100
Impôts fonciers
| Numéro de lot | 053-420-038-000 | Évaluation des bâtiments | 0 $ CAD |
| Évaluation du terrain | 967 171 $ CAD | Évaluation totale | 967 171 $ CAD |
Impôts fonciers
Numéro de lot
053-420-038-000
Évaluation du terrain
967 171 $ CAD
Évaluation des bâtiments
0 $ CAD
Évaluation totale
967 171 $ CAD
1 de 4
Vidéos
Visite extérieure 3D Matterport
Visite 3D Matterport
Photos
Vue depuis la rue
Rue
Carte
1 de 1
Présenté par
Airpark Business Center
1871 Airway Dr - Lot 7-Aircraft Accessible Lots/Build-To-Suits
Vous êtes déjà membre? Connectez-vous
Hmm, il semble y avoir eu une erreur lors de l’envoi de votre message. Veuillez réessayer.
Merci! Votre message a été envoyé.
