Votre courriel a été envoyé.
1878 Frenchtown Center Dr 9 120 pi² d'espace disponible • Industriel • Monroe, MI 48162



Certaines informations ont été traduites automatiquement.
Faits saillants
- Move-In Ready Dispatch Office – 2,270 SF with Private Offices & Meeting Room
- I-75 & US-24 Corridor – Monroe County Industrial Zone
- Gated & Secured Yard – Key Fob Entry, CCTV, 7.76 Acre Site
Caractéristiques
Tous les espaces disponibles(1)
Afficher les taux de location en
- Espace
- Taille
- Terme
- Taux de location
- Utilisation de l’espace
- Aménagement
- Disponible
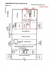
Approximately 9,120 SF available within an active fleet and logistics facility located at 1878 Frenchtown Center Dr in Monroe, Michigan. Ideal for trucking companies, contractors, logistics providers, or fleet operators seeking a turnkey office and operational support space. Second Floor Office – 2,270 SF (Primary Availability): Fully built-out second-floor office space featuring private offices, a meeting room, kitchen/break area, and restrooms. Move-in ready for a trucking company headquarters, dispatch center, or administrative office. This is the primary space available and can be leased independently. Additional Spaces Available (Lease Separately or Combined): • Drive-Thru Garage Bay – 2,100 SF: Enclosed drive-through bay suitable for light maintenance, or garage operations. • Storage Area – 3,000 SF: Industrial-grade storage with access to mezzanine level. Ideal for parts, equipment, or inventory. • Mezzanine – 1,750 SF: Additional elevated storage or light operational space. Open to separating office space, garage bay, or parking areas based on tenant needs. Ownership is flexible on the amount of space utilized, allowing tenants who may only require specific portions such as office, storage, mezzanine, or wash bay areas. The property features secure yard access, truck and trailer parking availability, security cameras, gated entry, and key fob access. Truck and trailer parking is $250 a month per spot. Tenant will operate within a shared facility environment with Altom Transport. Utilities are prorated based on the percentage of space occupied. Convenient access to major transportation routes and regional highways including I-75 and US-24. Truck and trailer parking may also be available separately.
- Le taux comprend les services publics, les services de bâtiment et les dépenses immobilières.
- 1 accès plain-pied
- Air central et chauffage
- Système de sécurité
- Plafond suspendu
- Éclairage encastré
- Installations WC abandonnées
- Cour
- Accessible aux fauteuils roulants
- Truck & Trailer Parking Available
- Gated Property with Key Fob Access
- Private Offices & Meeting Room
- Comprend 2 270 pi² d’espace de bureau dédié
- 1 quai de chargement
- Salle de bains privée
- Entreposage sécurisé
- Éclairage d’urgence
- Lumière naturelle
- Toilettes communes
- Détecteur de fumée
- Fleet Operations Friendly
- Convenient Highway Access
- Security Camera System
| Espace | Taille | Terme | Taux de location | Utilisation de l’espace | Aménagement | Disponible |
| 2e étage - 200 | 9 120 pi² | Négociable | 20,55 $ CAD/pi²/an 1,71 $ CAD/pi²/mois 187 416 $ CAD/an 15 618 $ CAD/mois | Industriel | construction complète | 2026-05-01 |
2e étage - 200
| Taille |
| 9 120 pi² |
| Terme |
| Négociable |
| Taux de location |
| 20,55 $ CAD/pi²/an 1,71 $ CAD/pi²/mois 187 416 $ CAD/an 15 618 $ CAD/mois |
| Utilisation de l’espace |
| Industriel |
| Aménagement |
| construction complète |
| Disponible |
| 2026-05-01 |
2e étage - 200
| Taille | 9 120 pi² |
| Terme | Négociable |
| Taux de location | 20,55 $ CAD/pi²/an |
| Utilisation de l’espace | Industriel |
| Aménagement | construction complète |
| Disponible | 2026-05-01 |
Approximately 9,120 SF available within an active fleet and logistics facility located at 1878 Frenchtown Center Dr in Monroe, Michigan. Ideal for trucking companies, contractors, logistics providers, or fleet operators seeking a turnkey office and operational support space. Second Floor Office – 2,270 SF (Primary Availability): Fully built-out second-floor office space featuring private offices, a meeting room, kitchen/break area, and restrooms. Move-in ready for a trucking company headquarters, dispatch center, or administrative office. This is the primary space available and can be leased independently. Additional Spaces Available (Lease Separately or Combined): • Drive-Thru Garage Bay – 2,100 SF: Enclosed drive-through bay suitable for light maintenance, or garage operations. • Storage Area – 3,000 SF: Industrial-grade storage with access to mezzanine level. Ideal for parts, equipment, or inventory. • Mezzanine – 1,750 SF: Additional elevated storage or light operational space. Open to separating office space, garage bay, or parking areas based on tenant needs. Ownership is flexible on the amount of space utilized, allowing tenants who may only require specific portions such as office, storage, mezzanine, or wash bay areas. The property features secure yard access, truck and trailer parking availability, security cameras, gated entry, and key fob access. Truck and trailer parking is $250 a month per spot. Tenant will operate within a shared facility environment with Altom Transport. Utilities are prorated based on the percentage of space occupied. Convenient access to major transportation routes and regional highways including I-75 and US-24. Truck and trailer parking may also be available separately.
- Le taux comprend les services publics, les services de bâtiment et les dépenses immobilières.
- Comprend 2 270 pi² d’espace de bureau dédié
- 1 accès plain-pied
- 1 quai de chargement
- Air central et chauffage
- Salle de bains privée
- Système de sécurité
- Entreposage sécurisé
- Plafond suspendu
- Éclairage d’urgence
- Éclairage encastré
- Lumière naturelle
- Installations WC abandonnées
- Toilettes communes
- Cour
- Détecteur de fumée
- Accessible aux fauteuils roulants
- Fleet Operations Friendly
- Truck & Trailer Parking Available
- Convenient Highway Access
- Gated Property with Key Fob Access
- Security Camera System
- Private Offices & Meeting Room
Aperçu de la propriété
Additional Spaces Available (Lease Separately or Combined): • Drive-Thru Garage Bay – 2,100 SF: Enclosed drive-through bay suitable for light maintenance, or garage operations. • Storage Area – 3,000 SF: Industrial-grade storage with access to mezzanine level. Ideal for parts, equipment, or inventory. • Mezzanine – 1,750 SF: Additional elevated storage or light operational space. Open to separating office space, garage bay, or parking areas based on tenant needs. Ownership is flexible on the amount of space utilized, allowing tenants who may only require specific portions such as office, storage, mezzanine, or wash bay areas. The property features secure yard access, truck and trailer parking availability, security cameras, gated entry, and key fob access. Truck and trailer parking is $250 a month per spot. Tenant will operate within a shared facility environment with Altom Transport. Utilities are prorated based on the percentage of space occupied. Convenient access to major transportation routes and regional highways including I-75 and US-24. Truck and trailer parking may also be available separately.
Faits sur l’installation terminal routier
Sélectionner des locataires
- Étage
- Nom du locataire
- Secteur
- 1ᵉʳ
- Al Warren Oil Co Inc
- Exploitation minière, carrière et extraction de pétrole et de gaz
Présenté par
Al Warren Oil Company
1878 Frenchtown Center Dr
Hmm, il semble y avoir eu une erreur lors de l’envoi de votre message. Veuillez réessayer.
Merci! Votre message a été envoyé.




