Votre courriel a été envoyé.
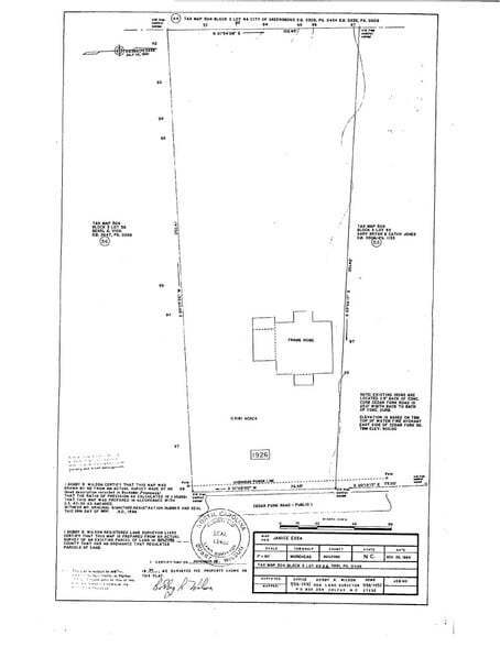
1926 Cedar Fork Dr
Greensboro, NC 27407
1926 Cedar Fork Drive · Terrain À vendre
·
0,45 AC


Certaines informations ont été traduites automatiquement.
Faits saillants de l'investissement
- RM-18 zoning allows for multifamily development
- Located in Grove Park neighborhood with city services and infrastructure
- Includes existing 900 SF single-family home with 3 bedrooms
Résumé de l'annonce
Faits sur la propriété
| Type de vente | Investissement | Sous-type de propriété | Résidentiel |
| Nombre de lots | 1 | Taille totale du lot | 0,45 AC |
| Type de propriété | Terrain | Nombre d’étages | 1 |
| Zonage | RM-18 - Résidentiel | ||
| Type de vente | Investissement |
| Nombre de lots | 1 |
| Type de propriété | Terrain |
| Sous-type de propriété | Résidentiel |
| Taille totale du lot | 0,45 AC |
| Nombre d’étages | 1 |
| Zonage | RM-18 - Résidentiel |
1 Lot disponible
Lot
| Taille du lot | 0,45 AC |
| Taille du lot | 0,45 AC |
0.45-acre parcel at 1926 Cedar Fork Drive offers a well-positioned residential lot with development potential. The property features a rectangular layout with approximately 19,754 square feet of land, zoned RM-18 for medium-density residential use.
Description
The property features a rectangular layout with approximately 19,754 square feet of land, zoned RM-18 for medium-density residential use. The site includes a modest 900-square-foot single-family home built in 1946, with additional improvements such as a finished carport, open porch, and storage area totaling 336 square feet. The lot benefits from established infrastructure, public utilities, and proximity to major thoroughfares, making it suitable for renovation, redevelopment, or investment.
Impôts fonciers
| Numéro de lot | 0053316 | Évaluation des bâtiments | 58 180 $ CAD |
| Évaluation du terrain | 43 774 $ CAD | Évaluation totale | 101 954 $ CAD |
