Votre courriel a été envoyé.
1930 New Jimmy Daniel Rd
Athens, GA 30606
Traffic Light Corner Development Opportunity · Terrain À vendre
·
13,17 AC


Certaines informations ont été traduites automatiquement.
FAITS SAILLANTS DE L'INVESTISSEMENT
- Highly Visible Location
- 3 Miles to Epps Bridge Centre
- Zoned Employment-Industrial (E-I)
- Under Half a Mile to Atlanta Hwy Shopping and Dining
- Just over a Mile to Highway 316
RÉSUMÉ DE L'ANNONCE
These lots are located near the corner of New Jimmie Daniel Road and Jennings Mill Parkway. Situated at a highly visible location, this property is strategically positioned within close proximity to Atlanta Highway and Epps Bridge shopping, dining, and entertainment. It is just a short distance from GA-316 and US Highway 78, and near the Atlanta Highway corridor in Athens, one of the busiest areas in Athens. With all utilities available and zoned for Employment-Industrial (E-I) use, this property offers excellent industrial and commercial development potential.
Area Description:
Nestled near Downtown Athens, both Athens hospital systems, and abundant shopping and dining in Athens and Oconee, the New Jimmie Daniel Rd area is conveniently located just off Atlanta Hwy in West Athens. With quick access to Hwy 78 and Hwy 316, as well as being only 13 minutes from Downtown Athens and UGA, this property offers unparalleled convenience. The bustling Atlanta Hwy corridor hosts a multitude of small businesses from various sectors. Additionally, it's close to Epps Bridge shopping and dining, and just minutes from the Piedmont Oconee Medical Campus. With proximity to Downtown Watkinsville, Downtown Athens, and a 1.5-hour drive to Downtown Atlanta and Hartsfield-Jackson International Airport, this location is a strategic asset for investors.
FAITS SUR LA PROPRIÉTÉ
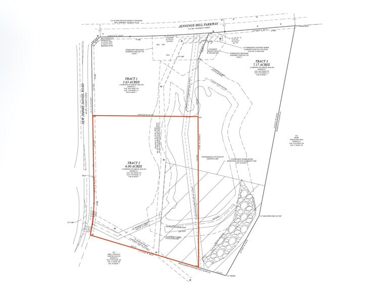
2 LOTS DISPONIBLES
Lot 2
| Prix | 482 625 $ CAD | Taille du lot | 6,00 AC |
| Prix par AC | 80 437,58 $ CAD |
| Prix | 482 625 $ CAD |
| Prix par AC | 80 437,58 $ CAD |
| Taille du lot | 6,00 AC |
6 Acres with All Utilities Highly Visible Location Under Half a Mile to Atlanta Hwy Shopping and Dining 3 Miles to Epps Bridge Centre Just over a Mile to Highway 316 Zoned Employment-Industrial (E-I)
Lot 3
| Prix | 344 732 $ CAD | Taille du lot | 7,17 AC |
| Prix par AC | 48 079,85 $ CAD |
| Prix | 344 732 $ CAD |
| Prix par AC | 48 079,85 $ CAD |
| Taille du lot | 7,17 AC |
7.17 Acres with All Utilities Highly Visible Location Under Half a Mile to Atlanta Hwy Shopping and Dining 3 Miles to Epps Bridge Centre Just over a Mile to Highway 316 Zoned Employment-Industrial (E-I)
DESCRIPTION
**Description de la propriété :** Située à un emplacement de coin très visible avec feux de signalisation, cette propriété bénéficie d’un positionnement stratégique à proximité de l’Atlanta Highway et du centre commercial, des restaurants et des divertissements d’Epps Bridge. Elle se trouve à une courte distance de la GA-316 et de l’autoroute US 78, près du corridor de l’Atlanta Highway à Athens, l’une des zones les plus fréquentées de la ville. Avec tous les services publics disponibles et une classification de zonage pour usage industriel et commercial (E-I), cette propriété offre un excellent potentiel de développement industriel et commercial. **Description de la région :** Située près du centre-ville d’Athens, des deux systèmes hospitaliers d’Athens, ainsi que d’une abondance de commerces et de restaurants à Athens et Oconee, la région de New Jimmie Daniel Rd est idéalement située juste à côté de l’Atlanta Highway dans l’ouest d’Athens. Avec un accès rapide aux autoroutes 78 et 316, et à seulement 13 minutes du centre-ville d’Athens et de l’Université de Géorgie (UGA), cette propriété offre une commodité inégalée. Le corridor animé de l’Atlanta Highway abrite une multitude de petites entreprises de divers secteurs. De plus, elle est proche des commerces et restaurants d’Epps Bridge, et à quelques minutes du campus médical Piedmont Oconee. Avec une proximité au centre-ville de Watkinsville, au centre-ville d’Athens, et à seulement 1,5 heure de route du centre-ville d’Atlanta et de l’aéroport international Hartsfield-Jackson, cet emplacement représente un atout stratégique pour les investisseurs.
Impôts fonciers
| Numéro de lot | 044-034 | Évaluation des bâtiments | 0 $ CAD |
| Évaluation du terrain | 405 908 $ CAD | Évaluation totale | 405 908 $ CAD |
