Se Connecter/S’inscrire
Votre courriel a été envoyé.
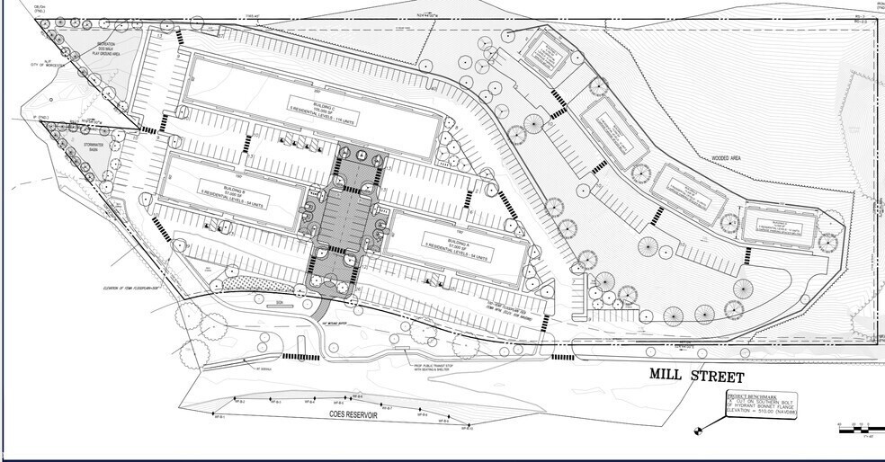
195 Mill St - Reservoire Pointe - 266 Residential Units Lot • Terrain commercial • 10,39 Acres • 11 167 360 $ CAD • Worcester, MA 01603



Certaines informations ont été traduites automatiquement.
FAITS SAILLANTS DE L'INVESTISSEMENT
- Visibilité exceptionnelle, vue, accès. Le site est plat et plat et prêt à être construit. Les droits sont de droit commun.
RÉSUMÉ DE L'ANNONCE
195, rue Mill (la « propriété »), une occasion exceptionnelle de développement à Worcester. En tenant compte de la topographie, ce site de +- 10,39 acres peut accueillir 224 unités résidentielles en pente, tout le stationnement requis étant stationné en surface. La propriété est zonée BG 2.0, ce qui permet un droit de propriété résidentielle multifamiliale. Ce site bien situé peut être réaménagé à des fins commerciales, résidentielles ou mixtes. Avec une disponibilité limitée de terrains à Worcester, ce site offre une occasion sans précédent. La propriété est située juste en face du réservoir Coes, offrant une vue tranquille et dégagée sur l'eau. La propriété est située à quelques secondes de l'avenue Park (route 9), de l'aéroport régional de Worcester, du Webster Square Plaza et offre un accès autoroutier formidable aux routes 146, I-90 et I-290.
FAITS SUR LA PROPRIÉTÉ
| Prix | 11 167 360 $ CAD | Type de propriété | Terrain |
| Type de vente | Investissement | Sous-type de propriété | Terrain commercial |
| Nombre de lots | 1 | Taille totale du lot | 10,39 AC |
| Zonage | BG 2.0 - Affaires générales | ||
| Prix | 11 167 360 $ CAD |
| Type de vente | Investissement |
| Nombre de lots | 1 |
| Type de propriété | Terrain |
| Sous-type de propriété | Terrain commercial |
| Taille totale du lot | 10,39 AC |
| Zonage | BG 2.0 - Affaires générales |
1 LOT DISPONIBLE
Lot
| Prix | 11 167 360 $ CAD | Taille du lot | 10,39 AC |
| Prix par AC | 1 074 818,12 $ CAD |
| Prix | 11 167 360 $ CAD |
| Prix par AC | 1 074 818,12 $ CAD |
| Taille du lot | 10,39 AC |
Parcelle de 10 acres et plus. Prêt à construire 224 unités résidentielles stationnées en surface. Ancien bâtiment sur le site rasé et enlevé. Projet résidentiel le plus important et le plus facile à construire dans la ville de Worcester.
DESCRIPTION
Tous les bâtiments ont été rasés et le site a été dégagé.
1 de 6
VIDÉOS
VISITE EXTÉRIEURE 3D MATTERPORT
VISITE 3D MATTERPORT
PHOTOS
VUE DEPUIS LA RUE
RUE
CARTE
Présenté par
Plaza Properties
195 Mill St - Reservoire Pointe - 266 Residential Units
Vous êtes déjà membre? Connectez-vous
Hmm, il semble y avoir eu une erreur lors de l’envoi de votre message. Veuillez réessayer.
Merci! Votre message a été envoyé.

