Se Connecter/S’inscrire
Votre courriel a été envoyé.
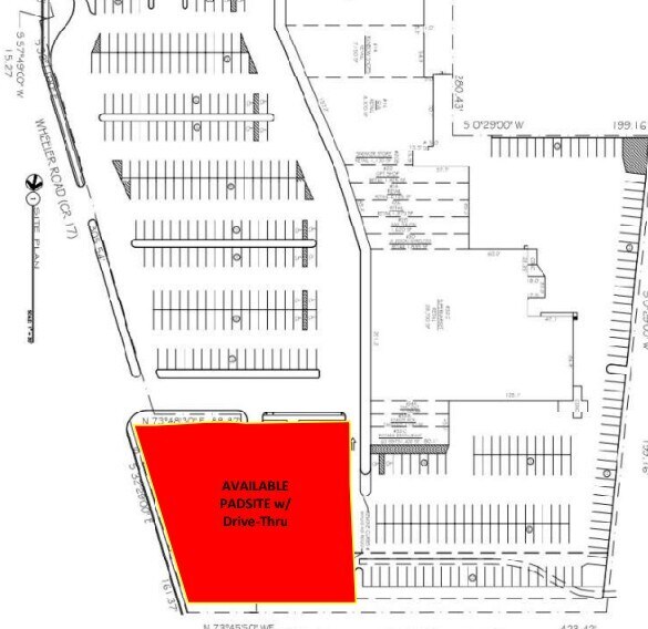
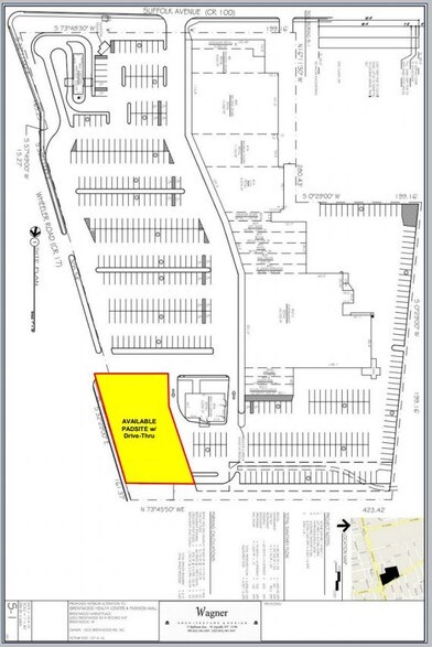
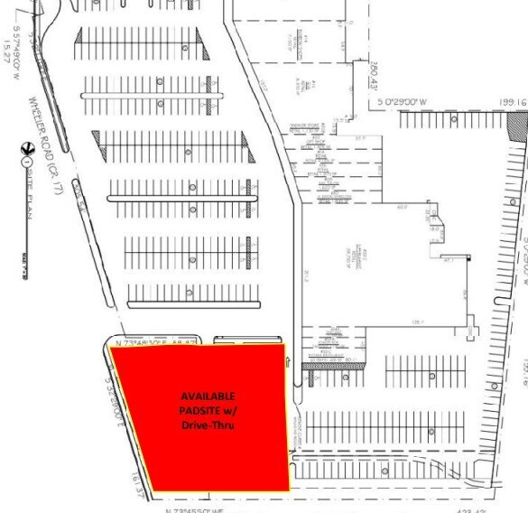
2-32 Wheeler Rd
Central Islip, NY 11722
Padsite with Drive Thru · Terrain À louer


Certaines informations ont été traduites automatiquement.
Faits sur la propriété
1 de 5
Vidéos
Visite extérieure 3D Matterport
Visite 3D Matterport
Photos
Vue depuis la rue
Rue
Carte
