Se Connecter/S’inscrire
Votre courriel a été envoyé.
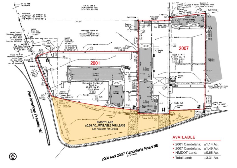
2001 Candelaria Rd NE
Albuquerque, NM 87107
2001 & 2007 Candelaria Ground Lease · Terrain À louer


Certaines informations ont été traduites automatiquement.
Faits saillants
- 17 000 ± voitures par jour sur Candelaria Rd NE
- NR-LM - Fabrication légère non résidentielle
- Achat futur possible
- 220 412 ± voitures par jour sur l'I-25
- I-25 Façades
Faits sur la propriété
| Superficie totale disponible | 3,23 AC | Sous-type de propriété | Terrain commercial |
| Min. divisible | 0,60 AC | Utilisation proposée | Commercial |
| Type de propriété | Terrain |
| Superficie totale disponible | 3,23 AC |
| Min. divisible | 0,60 AC |
| Type de propriété | Terrain |
| Sous-type de propriété | Terrain commercial |
| Utilisation proposée | Commercial |
1 de 9
Vidéos
Visite extérieure 3D Matterport
Visite 3D Matterport
Photos
Vue depuis la rue
Rue
Carte
