Se Connecter/S’inscrire
Votre courriel a été envoyé.
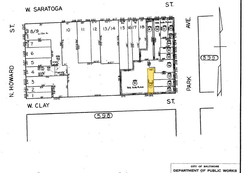
202 W Clay St 2 310 pi² Commerce de détail Immeuble Baltimore, MD 21201 1 593 846 $ CAD (689,98 $ CAD/pi²)



Certaines informations ont été traduites automatiquement.
Résumé de l'annonce
Sold together with 204 Clay Street.
Faits sur la propriété
Type de vente
Investissement
Type de propriété
Commerce de détail
Sous-type de propriété
Commerce pied immeuble
Taille du bâtiment
2 310 pi²
Classe d’immeuble
C
Année de construction
1920
Prix
1 593 846 $ CAD
Prix par pi²
689,98 $ CAD
Location
Unique
Hauteur du bâtiment
3 étages
Dalle à dalle
10’
Coefficient d’occupation des sols de l’immeuble
2,65
Taille du lot
0,02 AC
Zone de développement économique
Oui
Zonage
C-5HT
Stationnement
2 places (0,87 places par 1 000 pi² loué)
Façade
11’ sur W Clay St
Exceptionnellement praticable à pied
100/100
Assez facile d’accès en voiture
50/100
Transports en commun exceptionnels
100/100
Moyennement praticable en vélo
60/100
Principaux détaillants à proximité
Impôts fonciers
| Numéro de lot | 0599-030 | Évaluation des bâtiments | 0 $ CAD |
| Évaluation du terrain | 0 $ CAD | Évaluation totale | 203 227 $ CAD |
Impôts fonciers
Numéro de lot
0599-030
Évaluation du terrain
0 $ CAD
Évaluation des bâtiments
0 $ CAD
Évaluation totale
203 227 $ CAD
1 de 4
Vidéos
Visite extérieure 3D Matterport
Visite 3D Matterport
Photos
Vue depuis la rue
Rue
Carte
Présenté par
202 W Clay St
Vous êtes déjà membre? Connectez-vous
Hmm, il semble y avoir eu une erreur lors de l’envoi de votre message. Veuillez réessayer.
Merci! Votre message a été envoyé.
