Votre courriel a été envoyé.
Certaines informations ont été traduites automatiquement.
Faits saillants de l'investissement
- ±1.91-acre site featuring ±1,700 SF of office and ±1,600 SF of warehouse space
- CUP in place for contractor’s storage yard, offering flexibility for industrial users
- Fully fenced and secured yard suitable for storage or fleet operations
Résumé de l'annonce
The site’s entitlement advantage includes an existing Conditional Use Permit (CUP) for a contractor’s storage yard, enhancing its usability for specialized operations. Electrical service is noted at approximately 200 amps, subject to verification. The location provides quick access to major transportation routes, notably the 60 Freeway, and is minutes from Ontario International Airport, a critical logistics hub for Southern California.
Whether for owner-occupancy, investment, or long-term operational use, this site’s combination of structures, ample land, and strategic location make it an exceptional purchase in one of the Inland Empire’s most active industrial submarkets.
Faits sur la propriété
| Prix | 7 374 562 $ CAD | Type de propriété | Terrain |
| Type de vente | Investissement ou propriétaire utilisateur | Sous-type de propriété | Terrain commercial |
| Nombre de lots | 1 | Taille totale du lot | 1,91 AC |
| Zonage | IG - General Industrial | ||
| Prix | 7 374 562 $ CAD |
| Type de vente | Investissement ou propriétaire utilisateur |
| Nombre de lots | 1 |
| Type de propriété | Terrain |
| Sous-type de propriété | Terrain commercial |
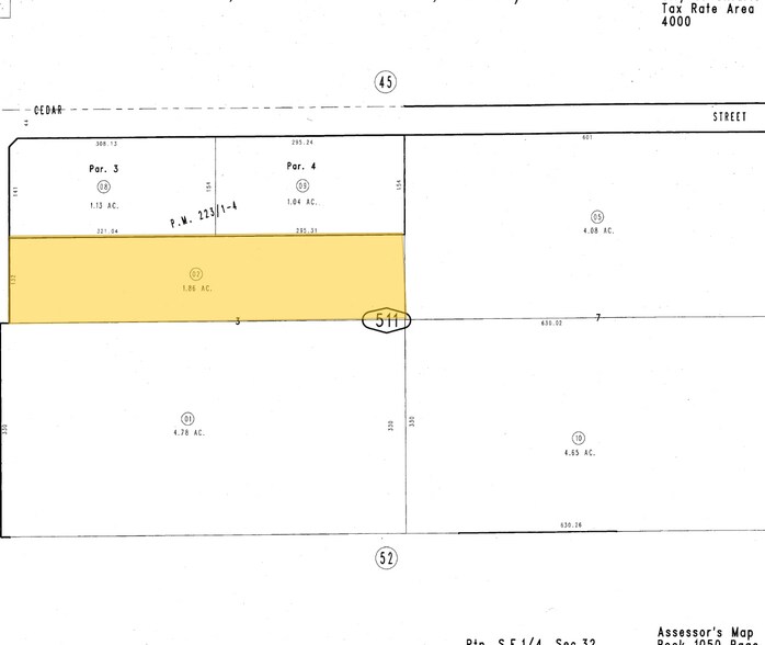
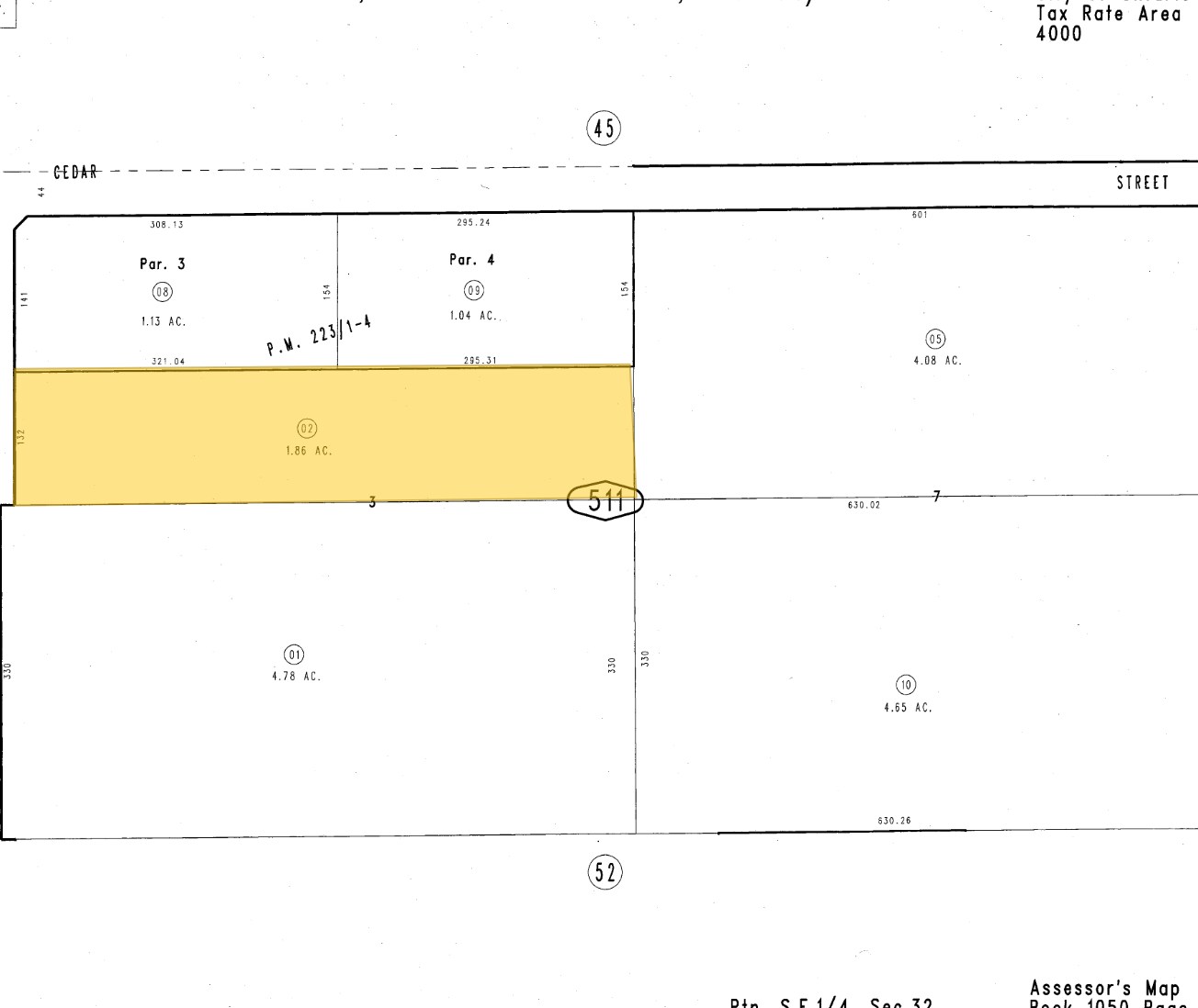
| Taille totale du lot | 1,91 AC |
| Zonage | IG - General Industrial |
1 Lot disponible
Lot
| Prix | 7 374 562 $ CAD | Taille du lot | 1,91 AC |
| Prix par AC | 3 861 027,42 $ CAD |
| Prix | 7 374 562 $ CAD |
| Prix par AC | 3 861 027,42 $ CAD |
| Taille du lot | 1,91 AC |
The site spans approximately 1.91 acres and includes a ±3,300 SF structure divided into an office building and warehouse. The site spans approximately 1.91 acres and includes a ±3,300 SF structure divided into an office building and warehouse.
Description
The property consists of a ±3,300 SF building on a ±1.91-acre lot and is located on S Bon View Avenue in Ontario, California. Improvements include an office area and warehouse space. The parcel is fully secured by perimeter fencing and has paved yard areas. Power service is listed as approximately 200 amps. The site is in close proximity to State Route 60 and Ontario International Airport. A Conditional Use Permit for contractor’s storage yard is in place.
Impôts fonciers
| Numéro de lot | 1050-511-02 | Évaluation des bâtiments | 494 694 $ CAD |
| Évaluation du terrain | 1 476 697 $ CAD | Évaluation totale | 1 971 391 $ CAD |
Impôts fonciers
Présenté par
2023 S Bon View Ave
Hmm, il semble y avoir eu une erreur lors de l’envoi de votre message. Veuillez réessayer.
Merci! Votre message a été envoyé.



