Votre courriel a été envoyé.
Certaines informations ont été traduites automatiquement.
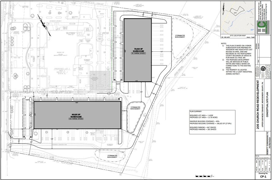
Faits sur le parc
| Superficie totale disponible | 166 250 pi² | Type de parc | Parc industriel |
| Min. divisible | 18 900 pi² |
| Superficie totale disponible | 166 250 pi² |
| Min. divisible | 18 900 pi² |
| Type de parc | Parc industriel |
Tous les espaces disponibles(2)
Afficher les taux de location en
- Espace
- Taille
- Terme
- Taux de location
- Utilisation de l’espace
- Aménagement
- Disponible
MidBay Industrial Center at North Wales introduces a first-class industrial development in Montgomery County, designed to accommodate small to mid-bay users with flexible configurations. The project features two modern buildings offering clear heights of 36 feet, ESFR sprinkler systems, and advanced dock packages to support efficient operations. Tenants will benefit from multiple dock-high loading positions, drive-in doors, and ample automobile parking, ensuring seamless logistics and accessibility. Located less than one mile from the Penllyn train station, the property provides excellent regional connectivity. Positioned between Route 309 (Bethlehem Pike) and the PA Turnpike Northeast Extension (I-476), the site offers direct access to the Lehigh Valley, Philadelphia, New Jersey, and Harrisburg markets. The upcoming completion of Phase 2 of the Route 309 connector will further enhance transportation efficiency for businesses operating in the area. This development is ideal for companies seeking modern industrial space with premium specifications in a well-connected suburban location.
- Espace en excellent état
- Multiple dock-high and drive-in loading doors.
- Less than one mile from Penllyn train station.
- 36’ clear height with ESFR sprinkler system.
- Easy access to Route 309 and I-476 highways.
- Zoned Limited Industrial with modern design.
| Espace | Taille | Terme | Taux de location | Utilisation de l’espace | Aménagement | Disponible |
| 1er étage | 25 550 à 70 000 pi² | Négociable | Sur demande Sur demande Sur demande Sur demande | Industriel | selon spécifications | 2026-11-01 |
203 Church Rd - 1er étage
- Espace
- Taille
- Terme
- Taux de location
- Utilisation de l’espace
- Aménagement
- Disponible
MidBay Industrial Center at North Wales is a premier industrial development offering flexible spaces ranging from 18,900 to 96,250 square feet. Designed for modern operational needs, the project features 36-foot clear heights, ESFR sprinkler systems, and multiple dock-high loading positions with drive-in doors. Tenants will also benefit from ample parking and high-quality finishes throughout the property. Located in Montgomery County, this site provides exceptional access to Route 309 and the PA Turnpike Northeast Extension (I-476), ensuring connectivity to the Lehigh Valley, Philadelphia, and New Jersey markets. The property is less than one mile from the Penllyn train station, offering additional transportation options. With the upcoming completion of the Route 309 connector, regional accessibility will be further enhanced, making this an ideal location for distribution, logistics, and light industrial users seeking new construction in a strategic suburban market.
- 4 accès plain-pied
- 27 quais de chargement
- 27 dock-high and 4 drive-in door positions across
- Espace en excellent état
- Parking for over 180 vehicles
- ESFR sprinkler system for enhanced fire protection
| Espace | Taille | Terme | Taux de location | Utilisation de l’espace | Aménagement | Disponible |
| 1er étage | 18 900 à 96 250 pi² | Négociable | Sur demande Sur demande Sur demande Sur demande | Industriel | - | 2026-10-01 |
203 Church Rd - 1er étage
203 Church Rd - 1er étage
| Taille | 25 550 à 70 000 pi² |
| Terme | Négociable |
| Taux de location | Sur demande |
| Utilisation de l’espace | Industriel |
| Aménagement | selon spécifications |
| Disponible | 2026-11-01 |
MidBay Industrial Center at North Wales introduces a first-class industrial development in Montgomery County, designed to accommodate small to mid-bay users with flexible configurations. The project features two modern buildings offering clear heights of 36 feet, ESFR sprinkler systems, and advanced dock packages to support efficient operations. Tenants will benefit from multiple dock-high loading positions, drive-in doors, and ample automobile parking, ensuring seamless logistics and accessibility. Located less than one mile from the Penllyn train station, the property provides excellent regional connectivity. Positioned between Route 309 (Bethlehem Pike) and the PA Turnpike Northeast Extension (I-476), the site offers direct access to the Lehigh Valley, Philadelphia, New Jersey, and Harrisburg markets. The upcoming completion of Phase 2 of the Route 309 connector will further enhance transportation efficiency for businesses operating in the area. This development is ideal for companies seeking modern industrial space with premium specifications in a well-connected suburban location.
- Espace en excellent état
- 36’ clear height with ESFR sprinkler system.
- Multiple dock-high and drive-in loading doors.
- Easy access to Route 309 and I-476 highways.
- Less than one mile from Penllyn train station.
- Zoned Limited Industrial with modern design.
203 Church Rd - 1er étage
| Taille | 18 900 à 96 250 pi² |
| Terme | Négociable |
| Taux de location | Sur demande |
| Utilisation de l’espace | Industriel |
| Aménagement | - |
| Disponible | 2026-10-01 |
MidBay Industrial Center at North Wales is a premier industrial development offering flexible spaces ranging from 18,900 to 96,250 square feet. Designed for modern operational needs, the project features 36-foot clear heights, ESFR sprinkler systems, and multiple dock-high loading positions with drive-in doors. Tenants will also benefit from ample parking and high-quality finishes throughout the property. Located in Montgomery County, this site provides exceptional access to Route 309 and the PA Turnpike Northeast Extension (I-476), ensuring connectivity to the Lehigh Valley, Philadelphia, and New Jersey markets. The property is less than one mile from the Penllyn train station, offering additional transportation options. With the upcoming completion of the Route 309 connector, regional accessibility will be further enhanced, making this an ideal location for distribution, logistics, and light industrial users seeking new construction in a strategic suburban market.
- 4 accès plain-pied
- Espace en excellent état
- 27 quais de chargement
- Parking for over 180 vehicles
- 27 dock-high and 4 drive-in door positions across
- ESFR sprinkler system for enhanced fire protection
Présenté par
203 Church Rd | North Wales, PA 19454
Hmm, il semble y avoir eu une erreur lors de l’envoi de votre message. Veuillez réessayer.
Merci! Votre message a été envoyé.

