Votre courriel a été envoyé.
Certaines informations ont été traduites automatiquement.
Résumé de l'annonce
Freeway visibility, with approximately 141,419 ADT
Immediate freeway access
Previously approved for 20 multi-tenant units, or 4 single family units with split.
Retail commercial uses allowed
Close to nearby retailers, residential and industrial.
Faits sur la propriété
1 Lot disponible
Lot
| Prix | 543 813 $ CAD | Taille du lot | 0,57 AC |
| Prix par AC | 954 057,97 $ CAD |
| Prix | 543 813 $ CAD |
| Prix par AC | 954 057,97 $ CAD |
| Taille du lot | 0,57 AC |
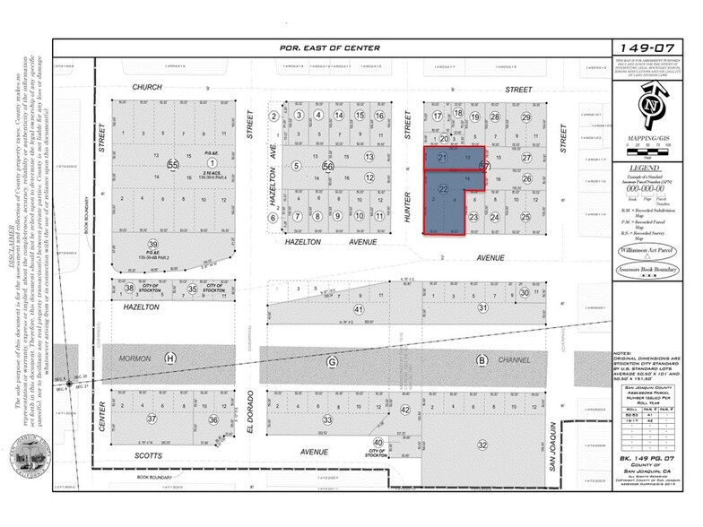
Two lots being sold together for a total of 0.57 AC. List price includes both 203 E Hazelton Ave: 149-070-22 (0.40 AC) and 520 S Hunter St: 149-070-21 (0.17 AC).
Description
Deux terrains vendus ensemble pour un total de 0,57 AC. Le prix de vente inclut à la fois 203 E Hazelton Ave : 149-070-22 (0,40 AC) et 520 S Hunter St : 149-070-21 (0,17 AC). Visibilité depuis l'autoroute, avec environ 141 419 véhicules par jour Accès immédiat à l'autoroute Précédemment approuvé pour 20 unités multi-locataires, ou 4 unités unifamiliales avec division. Utilisations commerciales de détail autorisées Proche de détaillants, résidentiel et industriel à proximité.
Impôts fonciers
| Numéro de lot | 149-070-22 | Évaluation des bâtiments | 381 623 $ CAD |
| Évaluation du terrain | 218 070 $ CAD | Évaluation totale | 599 694 $ CAD |
Impôts fonciers
Présenté par
203 E Hazelton Ave
Hmm, il semble y avoir eu une erreur lors de l’envoi de votre message. Veuillez réessayer.
Merci! Votre message a été envoyé.



