Se Connecter/S’inscrire
Votre courriel a été envoyé.
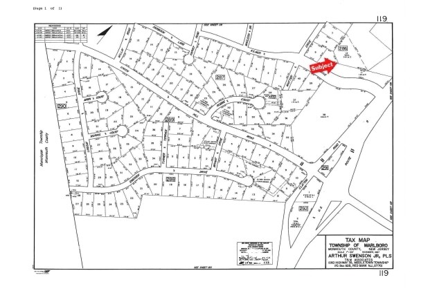
205 Rt 9 S
Marlboro, NJ 07751
2 Lots Ripe for Development- VeryLow Reserve! · Terrain À vendre
·
6,75 AC


Certaines informations ont été traduites automatiquement.
Faits sur la propriété
1 Lot disponible
Lot
| Prix | 8 172 960 $ CAD | Taille du lot | 6,75 AC |
| Prix par AC | 1 210 808,86 $ CAD |
| Prix | 8 172 960 $ CAD |
| Prix par AC | 1 210 808,86 $ CAD |
| Taille du lot | 6,75 AC |
Lots résidentiels et commerciaux avec 50' de façade sur la RT 9 Sud, Marlboro. Grand site de développement comprenant de plein droit développement résidentiel R-20 6,75 acres avec environ 1 acre d'accès commercial à partir de la RT 9 Sud.
Impôts fonciers
| Numéro de lot | 30-00286-0000-00011 | Évaluation des bâtiments | 0 $ CAD |
| Évaluation du terrain | 265 174 $ CAD | Évaluation totale | 265 174 $ CAD |
Impôts fonciers
Numéro de lot
30-00286-0000-00011
Évaluation du terrain
265 174 $ CAD
Évaluation des bâtiments
0 $ CAD
Évaluation totale
265 174 $ CAD
1 de 8
Vidéos
Visite extérieure 3D Matterport
Visite 3D Matterport
Photos
Vue depuis la rue
Rue
Carte
