Votre courriel a été envoyé.
206 E High St - Hampton Woods Lot • Résidentiel • 63,21 Acres • 2 549 559 $ CAD • East Hampton, CT 06424



Certaines informations ont été traduites automatiquement.
Faits saillants de l'investissement
- Jusqu'à 247 unités supplémentaires peuvent être construites (6 unités déjà construites et vendues au cours de la phase 1-a)
- Densité de 6 unités par acre
- Subdivision approuvée
Résumé de l'annonce
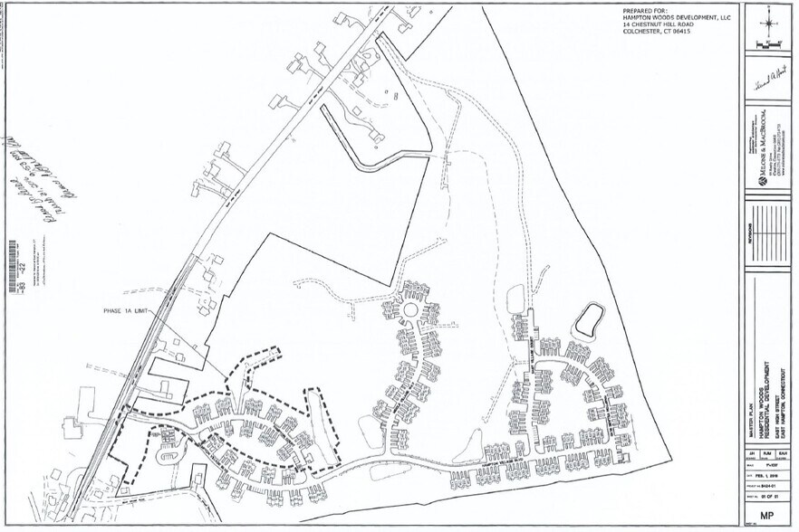
Avec 446,50 pieds de façade sur East High Street (route 66) et 578,84 pieds de façade sur Bear Swamp Road, le site de 63,21 acres comprend trois phases. La phase I, d'une superficie totale de 14,10 acres, a fait l'objet d'un développement partiel et six des 69 unités prévues dans cette phase ont été achevées et vendues. Sur les 49,11 acres restants, seulement 36,31 acres sont considérés comme utilisables. La phase II comprend 57 unités et la phase III engloberait 125 unités. Les 12,8 acres restants sont jugés inutilisables.
La phase I est actuellement améliorée avec une route partiellement achevée (environ 900 pieds linéaires de longueur et n'est pas achevée à l'heure actuelle (couche de finition nécessaire), un aménagement paysager minimal et des services publics avec 663 pieds linéaires de construction de routes restants dans cette phase. Selon la ville d'East Hampton, aucun cautionnement n'est détenu pour l'achèvement de la construction de la route. Il reste environ 3 912 pieds linéaires de route à construire pour l'ensemble du projet.
Le gaz naturel et les égouts publics sont raccordés au site au cours de la phase I. L'eau provient de puits creusés et traitée par une installation de traitement de l'eau sur place.
Faits sur la propriété Sous contrat
| Prix | 2 549 559 $ CAD | Sous-type de propriété | Résidentiel |
| Type de vente | Investissement | Utilisation proposée | Unités d’appartements - Condo |
| Nombre de lots | 1 | Taille totale du lot | 63,21 AC |
| Type de propriété | Terrain | ||
| Zonage | DD | ||
| Prix | 2 549 559 $ CAD |
| Type de vente | Investissement |
| Nombre de lots | 1 |
| Type de propriété | Terrain |
| Sous-type de propriété | Résidentiel |
| Utilisation proposée | Unités d’appartements - Condo |
| Taille totale du lot | 63,21 AC |
| Zonage | DD |
1 Lot disponible
Lot
| Prix | 2 549 559 $ CAD | Taille du lot | 63,21 AC |
| Prix par AC | 40 334,74 $ CAD |
| Prix | 2 549 559 $ CAD |
| Prix par AC | 40 334,74 $ CAD |
| Taille du lot | 63,21 AC |
Façade sur la rue 66 - avec cul-de-sac pour la phase I - Voir les notes de vente ci-dessous.
Description
Lotissement sur un site de 63,21 acres, approuvé pour un développement de condominiums de 253 unités, en utilisant le règlement de la ville d'East Hampton Hampton Housing Opportunity Development Zone, qui respectent les exigences d'abordabilité des lois sur le logement abordable de 8 à 30 g du Connecticut. Le projet de développement est conçu pour trois phases. La phase I-a comprend les services publics d'électricité, d'égouts publics, d'eau (dérivée de puits creusés et traitée par une installation de traitement de l'eau sur place) et de gaz. La route pour cette section est en place.
Présenté par
206 E High St - Hampton Woods
Hmm, il semble y avoir eu une erreur lors de l’envoi de votre message. Veuillez réessayer.
Merci! Votre message a été envoyé.

