Se Connecter/S’inscrire
Votre courriel a été envoyé.
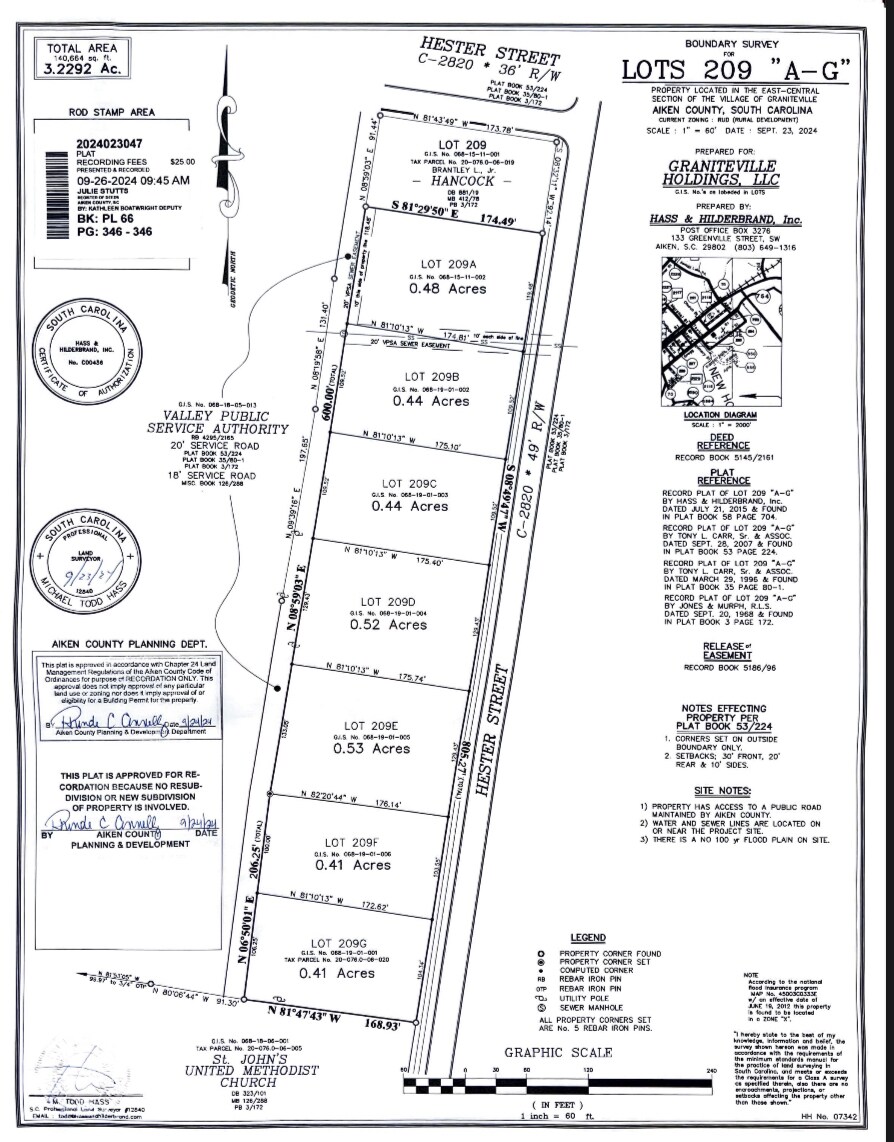
209 A-G Hester St - Development Opportunity - Graniteville, SC Lot • Résidentiel • 3,23 Acres • 115 794 $ CAD • Graniteville, SC 29829


Certaines informations ont été traduites automatiquement.
FAITS SAILLANTS DE L'INVESTISSEMENT
- 7 Buildable Residential Lots Zoned RUD
- Will Serve Letter from Local Sewer Authority in Hand
RÉSUMÉ DE L'ANNONCE
7 Buildable Lots available. Buildable Lots can be purchased as bundle. Each approx. 1/2 Acre and ready for your new home or investment property to be built on. Your option: Sewer available at cost to Buyer, or county will approve Septic Tanks. Will Serve Letter in hand from Valley Public Service to provide Water & Sewer to the 7 existing lots. Buyer responsible for connecting to utilities. Potential for lot lines to be adjusted for construction of duplexes, triplexes, quadraplexes.
FAITS SUR LA PROPRIÉTÉ
| Prix | 115 794 $ CAD | Sous-type de propriété | Résidentiel |
| Type de vente | Investissement | Utilisation proposée | Développement familial unique |
| Nombre de lots | 1 | Taille totale du lot | 3,23 AC |
| Type de propriété | Terrain | ||
| Zonage | RUD - Développement rural | ||
| Prix | 115 794 $ CAD |
| Type de vente | Investissement |
| Nombre de lots | 1 |
| Type de propriété | Terrain |
| Sous-type de propriété | Résidentiel |
| Utilisation proposée | Développement familial unique |
| Taille totale du lot | 3,23 AC |
| Zonage | RUD - Développement rural |
1 LOT DISPONIBLE
Lot 209 A-G
| Prix | 115 794 $ CAD | Taille du lot | 3,23 AC |
| Prix par AC | 35 849,54 $ CAD |
| Prix | 115 794 $ CAD |
| Prix par AC | 35 849,54 $ CAD |
| Taille du lot | 3,23 AC |
7 Townhome, Duplex, Triplex, or Single Family Lots available. Each approx. 1/2 Acre and ready for new homes or investment properties to be built on.
DESCRIPTION
7 terrains constructibles disponibles. Terrains constructibles à acheter en lot. Chacun d'environ 1/2 acre, prêt pour la construction de votre nouvelle maison ou propriété d'investissement. Égout disponible à la charge de l'acheteur.
Impôts fonciers
| Numéros de lot | Évaluation des bâtiments | 0 $ CAD | |
| Évaluation du terrain | 4 121 $ CAD | Évaluation totale | 4 121 $ CAD |
Impôts fonciers
Numéros de lot
Évaluation du terrain
4 121 $ CAD
Évaluation des bâtiments
0 $ CAD
Évaluation totale
4 121 $ CAD
1 de 3
VIDÉOS
VISITE EXTÉRIEURE 3D MATTERPORT
VISITE 3D MATTERPORT
PHOTOS
VUE DEPUIS LA RUE
RUE
CARTE
Présenté par
209 A-G Hester St - Development Opportunity - Graniteville, SC
Vous êtes déjà membre? Connectez-vous
Hmm, il semble y avoir eu une erreur lors de l’envoi de votre message. Veuillez réessayer.
Merci! Votre message a été envoyé.

