Se Connecter/S’inscrire
Votre courriel a été envoyé.
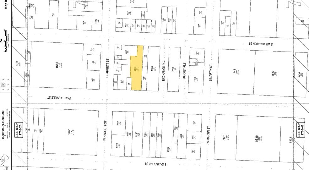
209 Fayetteville St
Raleigh, NC 27601
Bureau Propriété À vendre


Certaines informations ont été traduites automatiquement.
Faits sur la propriété
Type de vente
Investissement ou propriétaire utilisateur
Type de propriété
Bureau
Sous-type de propriété
Loft
Taille du bâtiment
25 594 pi²
Classe d’immeuble
B
Année de construction/rénovation
1925/2021
Pourcentage loué
Vacant
Location
Multiples
Hauteur du bâtiment
3 étages
Superficie de plancher typique
8 531 pi²
Coefficient d’occupation des sols de l’immeuble
2,67
Taille du lot
0,22 AC
Zonage
DX-40 - Commerciale
Commodités
- Affichage
Impôts fonciers
| Numéro de lot | 1703.34-78-1263-000 | Évaluation des bâtiments | 606 928 $ CAD |
| Évaluation du terrain | 6 090 091 $ CAD | Évaluation totale | 6 697 019 $ CAD |
Impôts fonciers
Numéro de lot
1703.34-78-1263-000
Évaluation du terrain
6 090 091 $ CAD
Évaluation des bâtiments
606 928 $ CAD
Évaluation totale
6 697 019 $ CAD
1 de 16
Vidéos
Visite extérieure 3D Matterport
Visite 3D Matterport
Photos
Vue depuis la rue
Rue
Carte
