Votre courriel a été envoyé.
21, 722040 Range Road 51 - Hawker Industrial Park Lot • Terrain industriel • 8,99 Acres • 1 950 000 $ CAD • Grande Prairie, AB T0H 0W0


Certaines informations ont été traduites automatiquement.
Faits saillants de l'investissement
- y 3 milles à l'est de la limite municipale du hameau de Clairmont
- Façade sur l'autoroute 43
- environ 2 milles au nord-est de la limite municipale de la ville de Grand Prairie
Résumé de l'annonce
Faits sur la propriété
1 Lot disponible
Lot 8
| Prix | 1 950 000 $ CAD | Taille du lot | 8,99 AC |
| Prix par AC | 216 907,68 $ CAD |
| Prix | 1 950 000 $ CAD |
| Prix par AC | 216 907,68 $ CAD |
| Taille du lot | 8,99 AC |
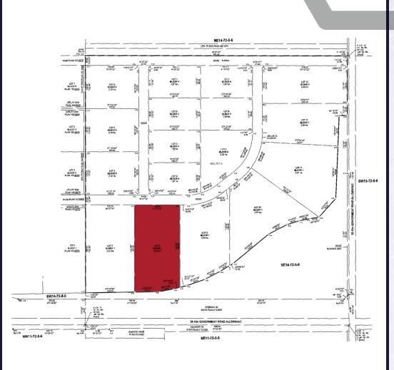
Parcelle de forme légèrement irrégulière. +/- 454 pieds de façade et accès au nord, +/- 455 pieds de façade sur la route 43 au sud. Profondeur de +/-828,74 pieds vers l'est,. +/-876,05 pieds le long de l'ouest.
Description
Situé dans le parc d'affaires Hawker, avec accès à l'électricité, au gaz, au téléphone, à l'eau municipale et aux services septiques privés. Parcelle de forme légèrement irrégulière. +/- 454 pieds de façade et accès au nord, +/- 455 pieds de façade sur la route 43 au sud. Profondeur de +/-828,74 pieds vers l'est,. +/-876,05 pieds le long de l'ouest.
Présenté par
21, 722040 Range Road 51 - Hawker Industrial Park
Hmm, il semble y avoir eu une erreur lors de l’envoi de votre message. Veuillez réessayer.
Merci! Votre message a été envoyé.
