Votre courriel a été envoyé.
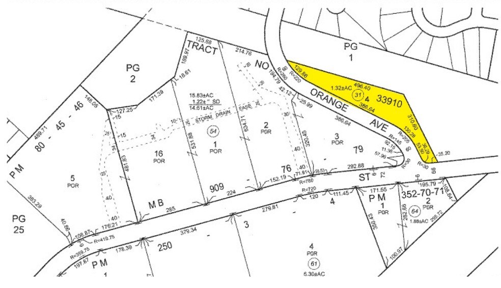
2100 S Orange Ave - Vcant Land Lot • Terrain commercial • 1,32 Acres • 1 388 933 $ CAD • Monterey Park, CA 91755



Certaines informations ont été traduites automatiquement.
RÉSUMÉ DE L'ANNONCE
Located less than a mile away from Costco and Home Depot.
Seller may consider assisting with Grading/leveling. 1.32± acre (57,499 SF) infill land opportunity in the City of Monterey Park
City-approved use for 39,000+ SF mixed-use development (office + retail)
O-P (Office Professional) zoning allowing flexible commercial uses
Asking $999,988 (~$17.39 per SF) — priced well below nearby land offerings
Prime location with immediate access to I-10, I-710, and SR-60 freeways
Less than one mile from Costco and Home Depot, surrounded by strong retail demand
Mildly sloped site suitable for grading and pad preparation
Estimated grading costs of $50,000–$150,000 depending on design and elevation
Seller open to participating in site preparation or grading costs
Seller financing available, enhancing deal flexibility
Ideal for developer, owner-user, or investor seeking a strategic LA-area infill site
Development-ready with entitlement groundwork completed, reducing upfront risk
FAITS SUR LA PROPRIÉTÉ
| Prix | 1 388 933 $ CAD | Type de propriété | Terrain |
| Type de vente | Investissement | Sous-type de propriété | Terrain commercial |
| Condition de vente | Projet de redéveloppement | Utilisation proposée | Commercial |
| Nombre de lots | 1 | Taille totale du lot | 1,32 AC |
| Zonage | OP - Le zonage OP avec la ville de Monterey Park permet à la fois des usages de bureau et de commerce de détail. | ||
| Prix | 1 388 933 $ CAD |
| Type de vente | Investissement |
| Condition de vente | Projet de redéveloppement |
| Nombre de lots | 1 |
| Type de propriété | Terrain |
| Sous-type de propriété | Terrain commercial |
| Utilisation proposée | Commercial |
| Taille totale du lot | 1,32 AC |
| Zonage | OP - Le zonage OP avec la ville de Monterey Park permet à la fois des usages de bureau et de commerce de détail. |
1 LOT DISPONIBLE
Lot
| Prix | 1 388 933 $ CAD | Taille du lot | 1,32 AC |
| Prix par AC | 1 052 222,21 $ CAD |
| Prix | 1 388 933 $ CAD |
| Prix par AC | 1 052 222,21 $ CAD |
| Taille du lot | 1,32 AC |
Seller Financing is Available on this property. Motivated Seller bring us an offer Seize this rare opportunity to develop in the thriving city of Monterey Park! This 57,499 SF vacant lot comes with city-approved Use for up to 39,000+ SF mixed-use
DESCRIPTION
Seller Financing is Available on this property. Motivated Seller bring us an offer At approximately $17 per square foot, this parcel is priced significantly below nearby listings and offers one of the lowest entry points for entitled or unentitled O-P land in Los Angeles County. Its rectangular shape and proximity to major freeways make it well-suited for professional, owner-user, or developer acquisition. Seize this rare opportunity to develop in the thriving city of Monterey Park! This 57,499 SF vacant lot comes with city-approved Use for up to 39,000+ SF mixed-use Less than one mile from Costco and Home Depot, surrounded by strong retail demand Mildly sloped site suitable for grading and pad preparation Estimated grading costs of $50,000–$150,000 depending on design and elevation Seller open to participating in site preparation or grading costs Seller financing available, enhancing deal flexibility Ideal for developer, owner-user, or investor seeking a strategic LA-area infill site Development-ready with entitlement groundwork completed, reducing upfront risk
Impôts fonciers
| Numéro de lot | 5265-026-031 | Évaluation des bâtiments | 0 $ CAD |
| Évaluation du terrain | 792 883 $ CAD | Évaluation totale | 792 883 $ CAD |
Impôts fonciers
Présenté par
Bend Investments, Inc.
2100 S Orange Ave - Vcant Land
Hmm, il semble y avoir eu une erreur lors de l’envoi de votre message. Veuillez réessayer.
Merci! Votre message a été envoyé.
