Se Connecter/S’inscrire
Votre courriel a été envoyé.
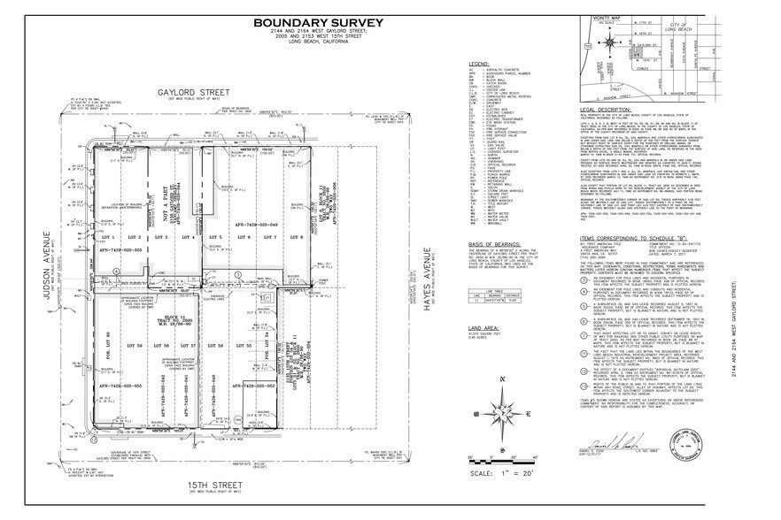
2144-2164 W Gaylord St 35 565 pi² Industriel Immeuble Long Beach, CA 90813 8 272 201 $ CAD (232,59 $ CAD/pi²)



Certaines informations ont été traduites automatiquement.
FAITS SAILLANTS DE L'INVESTISSEMENT
- +/- 0.95 AC (Six Parcels)
- Demolition of Existing Structures Underway
- IG Zoning
- Redevelopment Opportunity
- Site Will Be Delivered Clean With No Environmental Contamination
- Permitted Uses: Manufacturing, Outdoor Storage, Construction Yard
RÉSUMÉ DE L'ANNONCE
+/- 0.95 AC (Six Parcels)
Redevelopment Opportunity
Demolition of Existing Structures Underway
Site Will Be Delivered Clean With No Environmental Contamination
IG Zoning
Permitted Uses: Manufacturing, Outdoor Storage, Construction Yard
Transportation CUP & Cannabis AP
Two Miles to the Ports of Long Beach
Redevelopment Opportunity
Demolition of Existing Structures Underway
Site Will Be Delivered Clean With No Environmental Contamination
IG Zoning
Permitted Uses: Manufacturing, Outdoor Storage, Construction Yard
Transportation CUP & Cannabis AP
Two Miles to the Ports of Long Beach
FAITS SUR LA PROPRIÉTÉ
COMMODITÉS
- Terrain clôturé
SERVICES PUBLICS
- Éclairage
- Eau
1 1
Bike Score®
Très cyclable (71)
Impôts fonciers
| Numéros de lot | Évaluation des bâtiments | 447 493 $ CAD | |
| Évaluation du terrain | 3 039 953 $ CAD | Évaluation totale | 3 487 446 $ CAD |
Impôts fonciers
Numéros de lot
Évaluation du terrain
3 039 953 $ CAD
Évaluation des bâtiments
447 493 $ CAD
Évaluation totale
3 487 446 $ CAD
1 de 4
VIDÉOS
VISITE EXTÉRIEURE 3D MATTERPORT
VISITE 3D MATTERPORT
PHOTOS
VUE DEPUIS LA RUE
RUE
CARTE
1 de 1
Présenté par
2144-2164 W Gaylord St
Vous êtes déjà membre? Connectez-vous
Hmm, il semble y avoir eu une erreur lors de l’envoi de votre message. Veuillez réessayer.
Merci! Votre message a été envoyé.
