Se Connecter/S’inscrire
Votre courriel a été envoyé.
215 Main St 7 500 pi² 100% Loué Bureau Immeuble Fort Lee, NJ 07024 6 588 166 $ CAD (878,42 $ CAD/pi²) 4,76% Taux de capitalisation



Certaines informations ont été traduites automatiquement.
Faits saillants de l'investissement
- Situated in Fort Lee’s established Main Street commercial corridor with strong local presence.
- Offers convenient access to Manhattan and nearby business districts.
- Surrounded by a mix of professional offices, retail, and dining options.
- Well positioned within a walkable downtown area with steady daily activity.
Résumé de l'annonce
Well-maintained, free-standing commercial building for sale! This is a great investment opportunity.100% leased. 6 tenants: 3 retail and restaurant. This is a fantastic investment opportunity, as the property is 100% leased with six tenants: three retail and restaurant businesses and two office spaces. A new roof was installed in 2023, and the air conditioners were replaced recently. The property generates a net operating income (NOI) of $228,154 per year, with an average annual increase of 3% to 4%.
Located in the central business district, this building benefits from a prime location. At the rear of the property, there is a newly constructed municipal parking facility and park. High-rise luxury residential rental buildings, a variety of restaurants and cafes, a theater, and a large shopping mall also surround the area.
Located in the central business district, this building benefits from a prime location. At the rear of the property, there is a newly constructed municipal parking facility and park. High-rise luxury residential rental buildings, a variety of restaurants and cafes, a theater, and a large shopping mall also surround the area.
Faits sur la propriété
Type de vente
Investissement ou propriétaire utilisateur
Type de propriété
Bureau
Taille du bâtiment
7 500 pi²
Classe d’immeuble
C
Année de construction
1987
Prix
6 588 166 $ CAD
Prix par pi²
878,42 $ CAD
Taux de capitalisation
4,76%
Revenu net d’exploitation
313 803 $ CAD
Pourcentage loué
100%
Location
Multiples
Hauteur du bâtiment
2 étages
Superficie de plancher typique
3 750 pi²
Coefficient d’occupation des sols de l’immeuble
1,01
Taille du lot
0,17 AC
Zonage
C1, Fort Lee Boro. - Commercial
Stationnement
3 places (0,4 places par 1 000 pi² loué)
Principaux locataires Cliquez ici pour accéder à
- Locataire
- Secteur
- pi² Occupé
- Loyer/pi²
- Type de bail
- Fin du bail
- K fancy
- Détaillant
-
99,999 SF
- -
-
Lorem Ipsum
-
Jan 0000
| Locataire | Secteur | pi² Occupé | Loyer/pi² | Type de bail | Fin du bail | |
| K fancy | Détaillant | 99,999 SF | - | Lorem Ipsum | Jan 0000 |
1 1
Exceptionnellement practicable à pied
90/100
Très facile d'accès en voiture
80/100
Transports en commun robustes
80/100
Plutôt praticable en vélo
50/100
Impôts fonciers
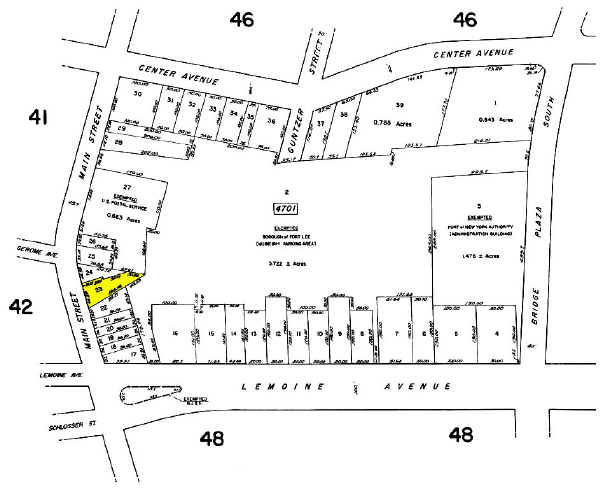
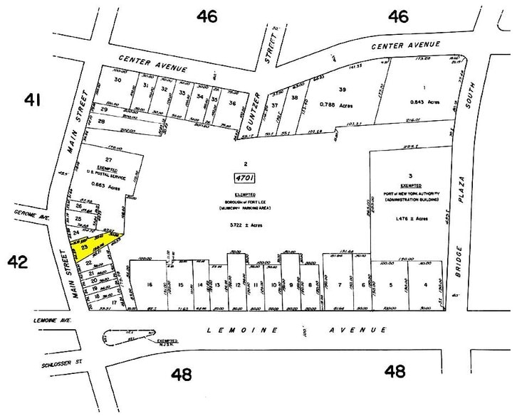
| Numéro de lot | 19-04751-0000-00020 | Évaluation des bâtiments | 855 774 $ CAD |
| Évaluation du terrain | 990 288 $ CAD | Évaluation totale | 1 846 062 $ CAD |
Impôts fonciers
Numéro de lot
19-04751-0000-00020
Évaluation du terrain
990 288 $ CAD
Évaluation des bâtiments
855 774 $ CAD
Évaluation totale
1 846 062 $ CAD
1 de 10
Vidéos
Visite extérieure 3D Matterport
Visite 3D Matterport
Photos
Vue depuis la rue
Rue
Carte
1 de 1
Présenté par
215 Main St
Vous êtes déjà membre? Connectez-vous
Hmm, il semble y avoir eu une erreur lors de l’envoi de votre message. Veuillez réessayer.
Merci! Votre message a été envoyé.
