Se Connecter/S’inscrire
Votre courriel a été envoyé.
21603 Thomas Cv / Boggy Ford/Santa Carlo 2 biens • À vendre 1 766 401 $ CAD • Emplacements multiples



Certaines informations ont été traduites automatiquement.
Résumé de l'annonce
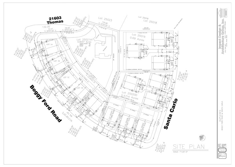
R4 zoning. 3.6 flat acres. 45 minutes from Austin. The site plan is already done.
Two contiguous parcels steps from Lake Travis with R4 multifamily zoning, flat cleared land, utilities in place, and a conceptual site plan already prepared by a licensed architect — showing duplex development across multiple lots with Boggy Ford Road and Santa Carlo frontage.
A developer who buys this site skips months of planning work. The layout is done. The land is ready. The only thing missing is you.
The existing 2,445 SF custom home generates holding income while permitting moves forward. Lease it furnished at Lake Travis short-term rental rates and the asset pays for itself during your development timeline.
This is not a raw land play. This is a permitted-ready R4 development site 45 minutes from Austin with Lake Travis views, a luxury home included, and a developer's head start already built in.
Motivated seller. Priced to close.
Key Facts: — 3.6 acres | 2 contiguous parcels — R4 multifamily zoning — Boggy Ford Road + Santa Carlo dual frontage — Architect-prepared site plan available — duplex layout across multiple lots — Flat, cleared, utilities in place — Existing 2,445 SF custom home — income-producing during development — Lake Travis & Hill Country views — 45 minutes from Austin — Rate buydown to 3.99% available through preferred lender
Two contiguous parcels steps from Lake Travis with R4 multifamily zoning, flat cleared land, utilities in place, and a conceptual site plan already prepared by a licensed architect — showing duplex development across multiple lots with Boggy Ford Road and Santa Carlo frontage.
A developer who buys this site skips months of planning work. The layout is done. The land is ready. The only thing missing is you.
The existing 2,445 SF custom home generates holding income while permitting moves forward. Lease it furnished at Lake Travis short-term rental rates and the asset pays for itself during your development timeline.
This is not a raw land play. This is a permitted-ready R4 development site 45 minutes from Austin with Lake Travis views, a luxury home included, and a developer's head start already built in.
Motivated seller. Priced to close.
Key Facts: — 3.6 acres | 2 contiguous parcels — R4 multifamily zoning — Boggy Ford Road + Santa Carlo dual frontage — Architect-prepared site plan available — duplex layout across multiple lots — Flat, cleared, utilities in place — Existing 2,445 SF custom home — income-producing during development — Lake Travis & Hill Country views — 45 minutes from Austin — Rate buydown to 3.99% available through preferred lender
Faits sur la propriété
| Prix | 1 766 401 $ CAD | Nombre de propriétés | 2 |
| Prix/pi² | 722,45 $ CAD / pi² | Individuellement en vente | 0 |
| Type de vente | Investissement | Taille totale du bâtiment | 2 445 pi² |
| Statut | Actif | Superficie totale du terrain | 5,34 AC |
| Prix | 1 766 401 $ CAD |
| Prix/pi² | 722,45 $ CAD / pi² |
| Type de vente | Investissement |
| Statut | Actif |
| Nombre de propriétés | 2 |
| Individuellement en vente | 0 |
| Taille totale du bâtiment | 2 445 pi² |
| Superficie totale du terrain | 5,34 AC |
Propriétés
| Nom de la propriété/adresse | Type de propriété | Taille | Année de construction | Prix individuel |
|---|---|---|---|---|
| TBD Boggy Ford Rd, Lago Vista, TX 78645 | Terrain | 3,60 AC | - | - |
| 21603 Thomas Cv, Leander, TX 78645 | Spécialité | 2 445 pi² | 2019 | - |
1 1
1 de 15
Vidéos
Visite extérieure 3D Matterport
Visite 3D Matterport
Photos
Vue depuis la rue
Rue
Carte
1 de 1
Présenté par
RE/MAX Suburbia
21603 Thomas Cv / Boggy Ford/Santa Carlo
Vous êtes déjà membre? Connectez-vous
Hmm, il semble y avoir eu une erreur lors de l’envoi de votre message. Veuillez réessayer.
Merci! Votre message a été envoyé.
