Se Connecter/S’inscrire
Votre courriel a été envoyé.
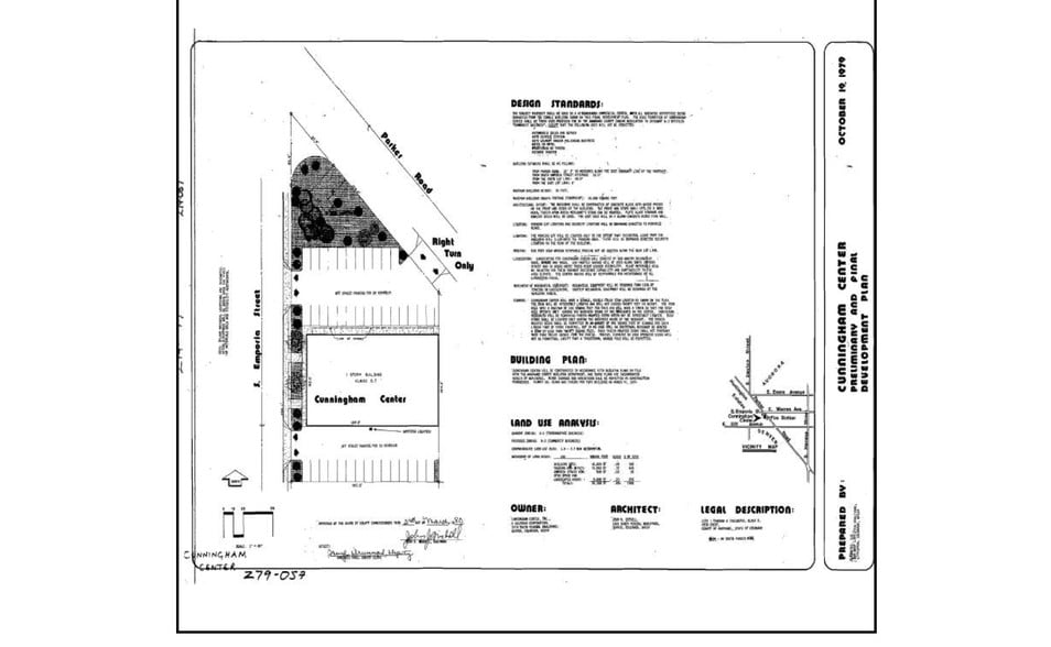
Cunningham Center 2199 S Parker Rd 10 100 pi² 80% Loué Commerce de détail Immeuble Denver, CO 80231 4 141 980 $ CAD (410,10 $ CAD/pi²) 6,97% Taux de capitalisation



Certaines informations ont été traduites automatiquement.
Faits saillants de l'investissement
- Located near major retail anchors and national tenants, offering strong synergy with existing destination traffic.
- Positioned in a market with solid economic fundamentals and consistent consumer demand, supporting long-term asset performance.
- Easy access to public transportation and major highways, enhancing convenience for both customers and employees.
Résumé de l'annonce
2199 S Parker Rd is a premier commercial offering located on one of Denver’s most trafficked arterial corridors, presenting rare visibility and accessibility in the southeast submarket. Positioned on approximately 0.84 acres with 10,100 sq ft of retail-zoned space, this property benefits from strong traffic counts, dense nearby residential populations, and proximity to key retail and employment hubs — attributes that enhance long-term investment stability and leasing potential. Strategically zoned B-1 and priced at $3,000,000, the site offers flexibility for owner-occupiers or investors seeking a highly visible presence along a major thoroughfare with robust commercial demand
Faits sur la propriété
Type de vente
Investissement
Type de propriété
Commerce de détail
Sous-type de propriété
Boutique
Taille du bâtiment
10 100 pi²
Classe d’immeuble
C
Année de construction
1983
Prix
4 141 980 $ CAD
Prix par pi²
410,10 $ CAD
Taux de capitalisation
6,97%
Revenu net d’exploitation
288 552 $ CAD
Pourcentage loué
80%
Location
Multiples
Hauteur du bâtiment
1 étage
Coefficient d’occupation des sols de l’immeuble
0,28
Taille du lot
0,84 AC
Zonage
B-1, Denver
Stationnement
41 places (4,06 places par 1 000 pi² loué)
Façade
Principaux locataires
- Locataire
- Secteur
- pi² Occupé
- Loyer/pi²
- Fin du bail
- Anna Fabricator Inc
- Détaillant
- -
- -
- -
| Locataire | Secteur | pi² Occupé | Loyer/pi² | Fin du bail | ||
| Anna Fabricator Inc | Détaillant | - | - | - |
Disponibilité des espaces
- Espace
- Taille
- Utilisation de l’espace
- Poste
- Disponible
- 1er étage
- 2 000 pi²
- Commerce de détail
- -
- Maintenant
| Espace | Taille | Utilisation de l’espace | Poste | Disponible |
| 1er étage | 2 000 pi² | Commerce de détail | - | Maintenant |
1er étage
| Taille |
| 2 000 pi² |
| Utilisation de l’espace |
| Commerce de détail |
| Poste |
| - |
| Disponible |
| Maintenant |
Assez practicable à pied
50/100
Très facile d'accès en voiture
80/100
Transports en commun relativement accessibles
40/100
Plutôt praticable en vélo
50/100
Principaux détaillants à proximité
Impôts fonciers
| Numéro de lot | 1973-27-1-02-010 | Évaluation des bâtiments | 0 $ CAD |
| Évaluation du terrain | 0 $ CAD | Évaluation totale | 1 651 $ CAD |
Impôts fonciers
Numéro de lot
1973-27-1-02-010
Évaluation du terrain
0 $ CAD
Évaluation des bâtiments
0 $ CAD
Évaluation totale
1 651 $ CAD
1 de 13
Vidéos
Visite extérieure 3D Matterport
Visite 3D Matterport
Photos
Vue depuis la rue
Rue
Carte
Présenté par
Cunningham Center | 2199 S Parker Rd
Vous êtes déjà membre? Connectez-vous
Hmm, il semble y avoir eu une erreur lors de l’envoi de votre message. Veuillez réessayer.
Merci! Votre message a été envoyé.
