Votre courriel a été envoyé.
220 Greystone Blvd Terrain à louer de 0,6 acres • Terrain commercial • Columbia, SC 29210



Certaines informations ont été traduites automatiquement.
Faits saillants
- Comptes de circulation d'environ 13 000 véhicules par jour
- Concessionnaire automobile ou utilisation de réparation ou de remorquage
- Clôture dans le lot
LOT Disponible
Afficher les taux de location en
| Taux de location |
|
Taille du lot | 0,60 AC |
| Durée du bail | Négociable |
| Taux de location | |
| Durée du bail | Négociable |
| Taille du lot | 0,60 AC |
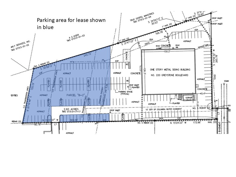
Approximately .6 acres available for parking, dealerships, fleets, trucking and other uses.
Aperçu de la propriété
Terrain de stationnement commercial à louer - 220, boulevard Greystone, Columbia, SC Emplacement principal Ce stationnement commercial est situé au cœur de Columbia, SC, sur le boulevard Greystone, un corridor très achalandé offrant une excellente visibilité. Le terrain se trouve également à distance de marche de nombreux concessionnaires automobiles. Beaucoup de stationnement Le stationnement peut accueillir jusqu'à 75 véhicules, ce qui le rend idéal pour les entreprises de toutes tailles, en particulier les concessionnaires et les parcs automobiles. Les opérations de remorquage et d'entreposage sont également effectuées. Le terrain est également clôturé pour plus de sécurité et de tranquillité d'esprit. Communiquez avec vous dès aujourd'hui pour en savoir plus sur ce stationnement commercial et planifier une visite guidée. Cette vacance ne durera pas longtemps.
Faits sur la propriété
Présenté par
Main Gate Management, LLC
220 Greystone Blvd
Hmm, il semble y avoir eu une erreur lors de l’envoi de votre message. Veuillez réessayer.
Merci! Votre message a été envoyé.
