Se Connecter/S’inscrire
Votre courriel a été envoyé.
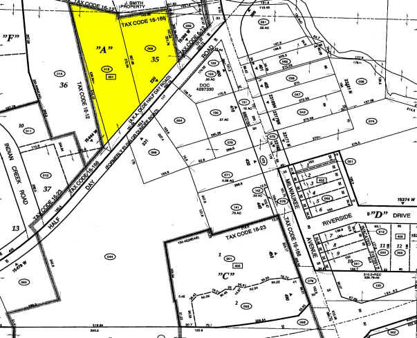
220 Olde Half Day Rd Lot • Terrain commercial • 4,43 Acres • 1 627 480 $ CAD • Lincolnshire, IL 60069


Certaines informations ont été traduites automatiquement.
Faits saillants de l'investissement
- Zonage du district commercial de détail du Lincolnshire (B-1).
- Situé à Signalized Milwaukee Ave. Intersection.
- Services publics sur l'avenue Milwaukee
- Taxes du comté de Lower Lake.
Résumé de l'annonce
- Site brut : 192 971 pi2 (4,43 acres)
- À vendre : 1 500 000$
- Impôts du comté de Lower Lake
- Situé à Signalized Milwaukee Ave. Intersection
- Zonage du quartier des commerces de détail du Lincolnshire (B-1)
- Services publics sur l'avenue Milwaukee
- ÉPINGLES : 15-15-401-009, 015, 2017, 024, 025
- À vendre : 1 500 000$
- Impôts du comté de Lower Lake
- Situé à Signalized Milwaukee Ave. Intersection
- Zonage du quartier des commerces de détail du Lincolnshire (B-1)
- Services publics sur l'avenue Milwaukee
- ÉPINGLES : 15-15-401-009, 015, 2017, 024, 025
Faits sur la propriété
| Prix | 1 627 480 $ CAD | Sous-type de propriété | Terrain commercial |
| Type de vente | Investissement | Utilisation proposée | |
| Nombre de lots | 1 | Taille totale du lot | 4,43 AC |
| Type de propriété | Terrain | ||
| Zonage | B-1 | ||
| Prix | 1 627 480 $ CAD |
| Type de vente | Investissement |
| Nombre de lots | 1 |
| Type de propriété | Terrain |
| Sous-type de propriété | Terrain commercial |
| Utilisation proposée | |
| Taille totale du lot | 4,43 AC |
| Zonage | B-1 |
1 Lot disponible
Lot
| Prix | 1 627 480 $ CAD | Taille du lot | 4,43 AC |
| Prix par AC | 367 376,91 $ CAD |
| Prix | 1 627 480 $ CAD |
| Prix par AC | 367 376,91 $ CAD |
| Taille du lot | 4,43 AC |
4.43 Acres de terrain
Description
Terrain de 4,43 acres situé à Milwaukee Ave. Intersection.
1 1
Impôts fonciers
| Numéros de lot | Évaluation des bâtiments | 0 $ CAD | |
| Évaluation du terrain | 597 418 $ CAD | Évaluation totale | 597 418 $ CAD |
Impôts fonciers
Numéros de lot
Évaluation du terrain
597 418 $ CAD
Évaluation des bâtiments
0 $ CAD
Évaluation totale
597 418 $ CAD
1 de 3
Vidéos
Visite extérieure 3D Matterport
Visite 3D Matterport
Photos
Vue depuis la rue
Rue
Carte
1 de 1
Présenté par
220 Olde Half Day Rd
Vous êtes déjà membre? Connectez-vous
Hmm, il semble y avoir eu une erreur lors de l’envoi de votre message. Veuillez réessayer.
Merci! Votre message a été envoyé.
Votre message a été envoyé !
Activez votre compte LoopNet dès maintenant pour suivre les propriétés, recevoir des alertes en temps réel, gagner du temps sur vos demandes futures et bien plus encore.
