Se Connecter/S’inscrire
Votre courriel a été envoyé.
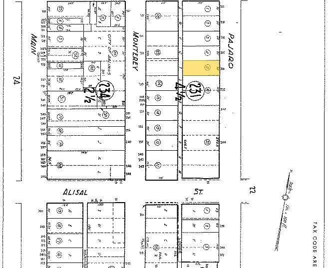
220 Pajaro St
Salinas, CA 93901
Bureau Propriété À vendre


Certaines informations ont été traduites automatiquement.
Faits saillants de l'investissement
- Assemblage Opportunity
- Parking and Alley Access at rear
- Central Salinas location live/work flexibility
- Value added opportunity
Résumé de l'annonce
Residential mixed-use zoned property currently utilized as a live/work space with on-site business use. Deferred maintenance-see attached building and pest inspections for details. Adjacent parcel at 214 Pajaro (parking lot) listed ant $300,000 is also available, creating a compelling assemblage opportunity for expanded development potential. Ideal for investor, contractor, or owner-user seeking flexible use and upside potential. Rare opportunity to control two contiguous parcels in a central location. Buyer to verify all conditions, uses and development possibilities. Seller prefers As Is sale and short term rent back.
Faits sur la propriété
Type de vente
Investissement ou propriétaire utilisateur
Condition de vente
Entretien différé
Type de propriété
Taille du bâtiment
1 538 pi²
Classe d’immeuble
C
Année de construction
1917
Prix
886 379 $ CAD
Prix par pi²
576,32 $ CAD
Location
Unique
Hauteur du bâtiment
1 étage
Superficie de plancher typique
1 538 pi²
Coefficient d’occupation des sols de l’immeuble
0,25
Taille du lot
0,14 AC
Zone de développement économique
Oui
Zonage
MX; Salinas - Mixed-use potential allowing residential and commercial uses. Buyer to verify zoning, permitted uses, and development potential with City of Salinas.
Stationnement
4 places (2,6 places par 1 000 pi² loué)
Impôts fonciers
| Numéro de lot | 002-231-005-000 | Évaluation des bâtiments | 238 308 $ CAD |
| Évaluation du terrain | 141 218 $ CAD | Évaluation totale | 379 527 $ CAD |
Impôts fonciers
Numéro de lot
002-231-005-000
Évaluation du terrain
141 218 $ CAD
Évaluation des bâtiments
238 308 $ CAD
Évaluation totale
379 527 $ CAD
1 de 7
Vidéos
Visite extérieure 3D Matterport
Visite 3D Matterport
Photos
Vue depuis la rue
Rue
Carte
