Se Connecter/S’inscrire
Votre courriel a été envoyé.
220 W Edmundson Ave - West Edmundson Development Project-8 Lots Lot • Résidentiel • 2,39 Acres • 4 976 460 $ CAD • Morgan Hill, CA 95037



Certaines informations ont été traduites automatiquement.
Faits saillants de l'investissement
- Desirable West-Side Location: Strong buyer demand and established neighborhood appeal
- Supply-Constrained Market: Limited new single-family housing inventory in Morgan Hill
- Efficient Scale: Boutique 8-lot project ideal for small-to-mid size builders and investors
- Accelerated Timeline: Seller to deliver Final Map within +-3 months, reducing entitlement risk and costs
- Premium Product: Large lots and 5-bed/5 bath homes designed for today’s family buyer
Résumé de l'annonce
220 West Edmundson presents a rare opportunity to acquire a near shovel-ready residential development in the highly desirable west-side submarket of Morgan Hill. The project consists of 8 single-family residential lots with spacious parcel sizes and thoughtfully designed home plans tailored to strong end-user demand.
The Seller has secured an approved Tentative Map and is in the process of completing the Final Map, which is expected to be ready for recordation within approximately three (3) months, offering a significantly reduced entitlement timeline for the Buyer.
Location & Amenities:The project is ideally situated directly across from the Morgan Hill Centennial Recreation Center, providing immediate access to premier recreational amenities including sports courts, open space, and a dog park.Additionally, the property is located just minutes from Tennant Station, offering convenient access to grocery stores, restaurants, retail, and entertainment. The surrounding neighborhood is characterized by established residential communities, strong schools, and proximity to major commuter routes serving Silicon Valley.
220 West Edmundson offers investors and builders the ability to capitalize on a well-located, entitlement-advanced residential project in a high-demand Silicon Valley submarket. With minimal remaining entitlement work and thoughtfully designed home plans, the project is positioned for a streamlined transition into vertical development and strong absorption upon completion.
The Seller has secured an approved Tentative Map and is in the process of completing the Final Map, which is expected to be ready for recordation within approximately three (3) months, offering a significantly reduced entitlement timeline for the Buyer.
Location & Amenities:The project is ideally situated directly across from the Morgan Hill Centennial Recreation Center, providing immediate access to premier recreational amenities including sports courts, open space, and a dog park.Additionally, the property is located just minutes from Tennant Station, offering convenient access to grocery stores, restaurants, retail, and entertainment. The surrounding neighborhood is characterized by established residential communities, strong schools, and proximity to major commuter routes serving Silicon Valley.
220 West Edmundson offers investors and builders the ability to capitalize on a well-located, entitlement-advanced residential project in a high-demand Silicon Valley submarket. With minimal remaining entitlement work and thoughtfully designed home plans, the project is positioned for a streamlined transition into vertical development and strong absorption upon completion.
Faits sur la propriété
| Prix | 4 976 460 $ CAD | Sous-type de propriété | Résidentiel |
| Type de vente | Investissement ou propriétaire utilisateur | Utilisation proposée | Développement familial unique |
| Nombre de lots | 1 | Taille totale du lot | 2,39 AC |
| Type de propriété | Terrain |
| Prix | 4 976 460 $ CAD |
| Type de vente | Investissement ou propriétaire utilisateur |
| Nombre de lots | 1 |
| Type de propriété | Terrain |
| Sous-type de propriété | Résidentiel |
| Utilisation proposée | Développement familial unique |
| Taille totale du lot | 2,39 AC |
1 Lot disponible
Lot
| Prix | 4 976 460 $ CAD | Taille du lot | 2,39 AC |
| Prix par AC | 2 082 200,79 $ CAD |
| Prix | 4 976 460 $ CAD |
| Prix par AC | 2 082 200,79 $ CAD |
| Taille du lot | 2,39 AC |
Description
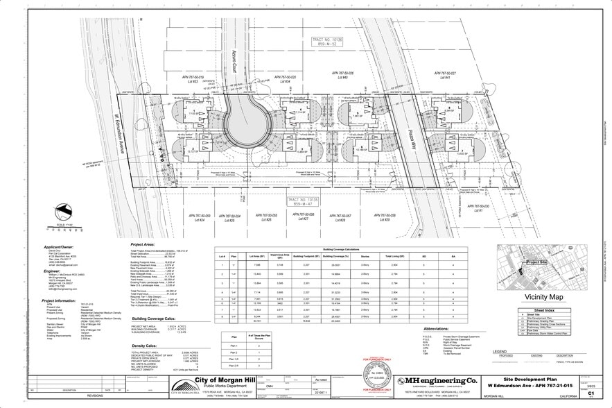
Property Overview Project Name: 220 West Edmundson Location: West side of Morgan Hill Product Type: Single-Family Residential Development Number of Lots: 8 Lot Sizes: Up to 13,894± SF Home Sizes: 2,794 – 2,904± SF Floorplans: Two seperate floorplans each with 5 Bedrooms / 4 Bathrooms Status: Approved Tentative Map; Final Map Pending (˜3 months) Broker Commission: Any Broker representing the Buyer shall be compensated solely by the Buyer, and not by the Seller.
1 1
Assez praticable à pied
50/100
Exceptionnellement facile d’accès en voiture
100/100
Transports en commun limités
30/100
Moyennement praticable en vélo
60/100
Impôts fonciers
| Numéro de lot | 767-21-015 | Évaluation des bâtiments | 0 $ CAD |
| Évaluation du terrain | 2 129 860 $ CAD | Évaluation totale | 2 129 860 $ CAD |
Impôts fonciers
Numéro de lot
767-21-015
Évaluation du terrain
2 129 860 $ CAD
Évaluation des bâtiments
0 $ CAD
Évaluation totale
2 129 860 $ CAD
1 de 7
Vidéos
Visite extérieure 3D Matterport
Visite 3D Matterport
Photos
Vue depuis la rue
Rue
Carte
1 de 1
Présenté par
220 W Edmundson Ave - West Edmundson Development Project-8 Lots
Vous êtes déjà membre? Connectez-vous
Hmm, il semble y avoir eu une erreur lors de l’envoi de votre message. Veuillez réessayer.
Merci! Votre message a été envoyé.
