Se Connecter/S’inscrire
Votre courriel a été envoyé.
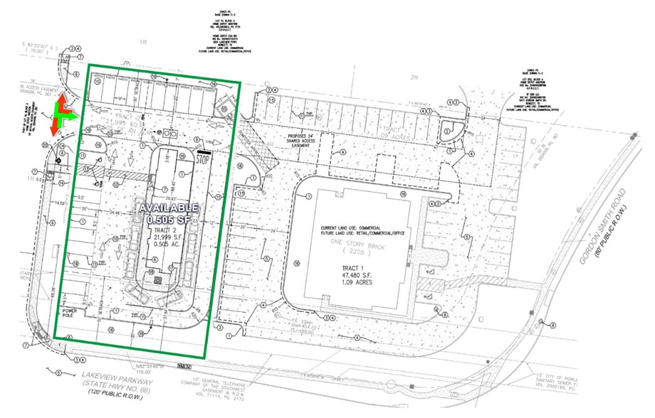
2205 Lakeview Pky - Rowlett Pad Site Available Lot • Terrain commercial • 0,4 Acres • Rowlett, TX 75088



Certaines informations ont été traduites automatiquement.
Faits saillants de l'investissement
- 0.505 AC Pad Site
- Great Access / Visibility
- SUP in place for 2,000 sf drive thru
- Shadow Anchored by Home Depot and Walmart Supercenter
- High Traffic Area in the Main Retail Corridor
Faits sur la propriété
| Type de vente | Investissement | Sous-type de propriété | Terrain commercial |
| Nombre de lots | 1 | Utilisation proposée | Commerce de détail |
| Type de propriété | Terrain | Taille totale du lot | 0,40 AC |
| Type de vente | Investissement |
| Nombre de lots | 1 |
| Type de propriété | Terrain |
| Sous-type de propriété | Terrain commercial |
| Utilisation proposée | Commerce de détail |
| Taille totale du lot | 0,40 AC |
1 Lot disponible
Lot
| Taille du lot | 0,40 AC |
| Taille du lot | 0,40 AC |
0.505 AC Pad Site - NWC of Gordon Smith Dr & Lakeview Pkwy, Rowlett, TX
Description
0.505 Acre Pad Site shadow anchored by Home Depot and Walmart Supercenter.
1 1
Assez praticable à pied
40/100
Exceptionnellement facile d’accès en voiture
100/100
Plutôt praticable en vélo
40/100
1 de 7
Vidéos
Visite extérieure 3D Matterport
Visite 3D Matterport
Photos
Vue depuis la rue
Rue
Carte
1 de 1
Présenté par
2205 Lakeview Pky - Rowlett Pad Site Available
Vous êtes déjà membre? Connectez-vous
Hmm, il semble y avoir eu une erreur lors de l’envoi de votre message. Veuillez réessayer.
Merci! Votre message a été envoyé.
