Se Connecter/S’inscrire
Votre courriel a été envoyé.
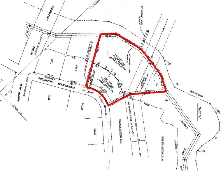
221 Sheraton Blvd - 221 Sheraton Blvd Lot • Terrain commercial • 3,41 Acres • 404 064 $ CAD • Macon-Bibb, GA 31210



Certaines informations ont été traduites automatiquement.
Faits saillants de l'investissement
- Macon Nord
- Pratique jusqu'à I-75
Faits sur la propriété
1 Lot disponible
Lot
| Prix | 404 064 $ CAD | Taille du lot | 3,41 AC |
| Prix par AC | 118 493,97 $ CAD |
| Prix | 404 064 $ CAD |
| Prix par AC | 118 493,97 $ CAD |
| Taille du lot | 3,41 AC |
3.41 Acre de terrain vacant à vendre. Le propriétaire construira également pour convenir ou louer. Situé dans le quartier des commerces d'affaires de North Macon, près de The Shoppes at River Crossing, de restaurants, de plusieurs concessionnaires automobiles et d'un cabinet médical.
Description
Situé dans le quartier commercial North Macon, près de The Shoppes at River Crossing, de restaurants, de concessionnaires d'automobiles multiples et d'installations médicales.
Plutôt praticable à pied
30/100
Exceptionnellement facile d’accès en voiture
100/100
Assez praticable en vélo
20/100
Impôts fonciers
| Numéro de lot | M030-0119 | Évaluation des bâtiments | 0 $ CAD |
| Évaluation du terrain | 112 956 $ CAD | Évaluation totale | 112 956 $ CAD |
Impôts fonciers
Numéro de lot
M030-0119
Évaluation du terrain
112 956 $ CAD
Évaluation des bâtiments
0 $ CAD
Évaluation totale
112 956 $ CAD
1 de 10
Vidéos
Visite extérieure 3D Matterport
Visite 3D Matterport
Photos
Vue depuis la rue
Rue
Carte
Présenté par
221 Sheraton Blvd - 221 Sheraton Blvd
Vous êtes déjà membre? Connectez-vous
Hmm, il semble y avoir eu une erreur lors de l’envoi de votre message. Veuillez réessayer.
Merci! Votre message a été envoyé.

