Se Connecter/S’inscrire
Votre courriel a été envoyé.
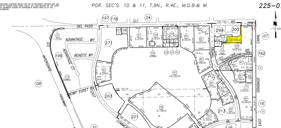
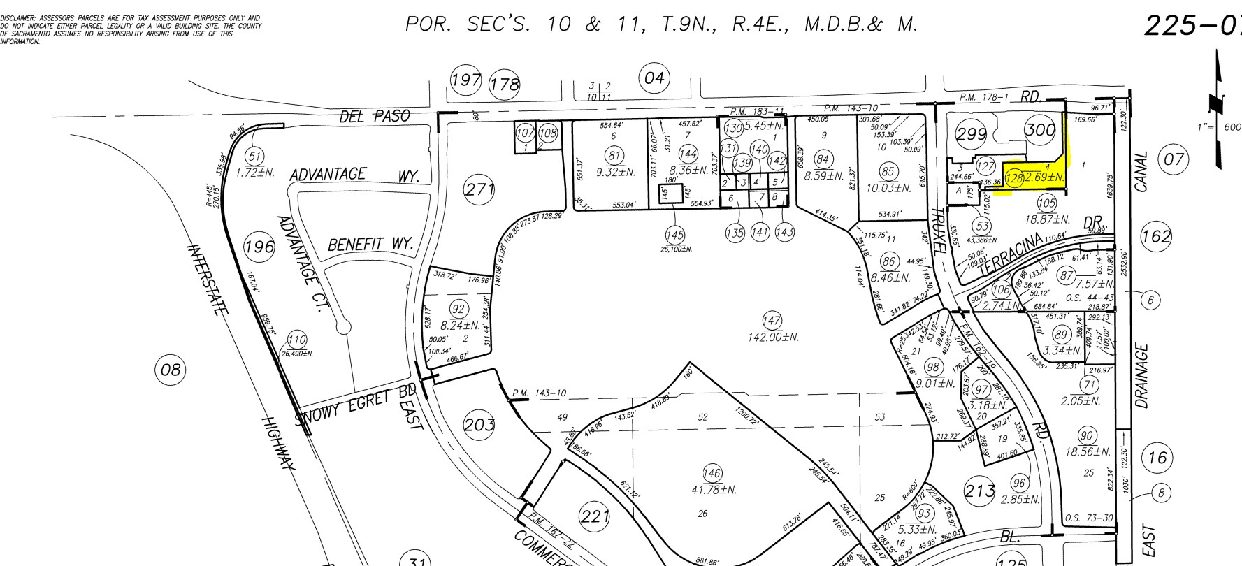
2240 Del Paso Rd
Sacramento, CA 95834
Terrain À vendre
·
2,49 AC

Certaines informations ont été traduites automatiquement.
Faits saillants de l'investissement
- ±2.49 acres of Light Industrial/Commercial land available
- City of Sacramento and Seller are open to CUP and change in zoning
- Ideal location at the intersection of Truxel Road and Del Paso Road
- Lot line adjustment can change parcel size
- City of Sacramento is open to a variety of uses
- Walk to a variety retail amenities and restaurants across the street
Résumé de l'annonce
±2.49 acres of Light Industrial/Commercial land available at the high-traffic intersection of Truxel Road and Del Paso Road in Sacramento. The parcel offers excellent flexibility with a potential lot line adjustment and is ideally suited for a variety of uses. Both the City of Sacramento and the seller are open to a Conditional Use Permit (CUP) and potential zoning changes, making it a versatile development opportunity.
Located directly across from the Raley’s Center and within walking distance to numerous retail amenities and restaurants, the site also offers immediate access to I-80 and I-5. Nearby anchor tenants include Lyon Real Estate, Placer Title, Suncrest Health Services, CGL, and Realty ONE Group, providing strong synergy for commercial or mixed-use development.
Located directly across from the Raley’s Center and within walking distance to numerous retail amenities and restaurants, the site also offers immediate access to I-80 and I-5. Nearby anchor tenants include Lyon Real Estate, Placer Title, Suncrest Health Services, CGL, and Realty ONE Group, providing strong synergy for commercial or mixed-use development.
Faits sur la propriété
1 Lot disponible
Lot
| Taille du lot | 2,49 AC |
| Taille du lot | 2,49 AC |
±2.49 acres of flat, developable land designated for Light Industrial/Commercial use, with potential for parcel adjustment and zoning flexibility
Description
Directement en face du Raley’s Center, accès immédiat aux autoroutes Interstate 80 et Interstate 5. Les locataires principaux de l'immeuble existant incluent : Lyon Real Estate, Placer Title, Suncrest Health Services, CGL, Realty.
Impôts fonciers
| Numéro de lot | 225-2990-010 | Évaluation des bâtiments | 0 $ CAD |
| Évaluation du terrain | 1 138 992 $ CAD | Évaluation totale | 1 138 992 $ CAD |
Impôts fonciers
Numéro de lot
225-2990-010
Évaluation du terrain
1 138 992 $ CAD
Évaluation des bâtiments
0 $ CAD
Évaluation totale
1 138 992 $ CAD
1 de 2
Vidéos
Visite extérieure 3D Matterport
Visite 3D Matterport
Photos
Vue depuis la rue
Rue
Carte
