Votre courriel a été envoyé.
2241 Malvern Ave - 2241 Malvern Avenue Lot • Terrain commercial • 2,55 Acres • 1 384 777 $ CAD • Hot Springs, AR 71901



Certaines informations ont été traduites automatiquement.
Faits saillants de l'investissement
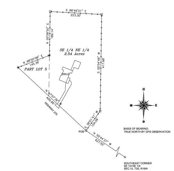
- Environ 400 pi de façade sur l'avenue Malvern
- Un des rares lots de zonage commercial disponibles pour la mise en valeur dans la région
- De l'autre côté de la rue d'une station-service Shell
Résumé de l'annonce
Notez qu'il y a deux lots, dont l'un est assez petit.
Visite vidéo : https://youtu.be/1JDfHRZkiNo
Faits sur la propriété
1 Lot disponible
Lot
| Prix | 1 384 777 $ CAD | Taille du lot | 2,55 AC |
| Prix par AC | 543 049,72 $ CAD |
| Prix | 1 384 777 $ CAD |
| Prix par AC | 543 049,72 $ CAD |
| Taille du lot | 2,55 AC |
Terrain commercial à vendre par le propriétaire. Le prix indiqué correspond à la participation d'une tierce partie. Prix directement du propriétaire : 981 000$. Intersection de l'avenue Malvern et du chemin Golf Links. Très peu de propriétés commerciales non aménagées sont disponibles dans la région.
Description
Actuellement en vente par le propriétaire. Fait partie d'une fiducie. Propriété à part entière de la même famille depuis quatre-vingt-dix ans. Aucun privilège ni solde impayé. Intersection de l'avenue Malvern et du chemin Golf Links. Maison
Présenté par
Oscar Gloor Jr. Trustee
2241 Malvern Ave - 2241 Malvern Avenue
Hmm, il semble y avoir eu une erreur lors de l’envoi de votre message. Veuillez réessayer.
Merci! Votre message a été envoyé.
