Votre courriel a été envoyé.
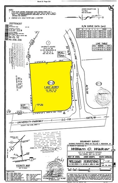
225 University Pky - 1.4 acres University Pkwy & University Lane Lot • Terrain commercial • 1,41 Acres • 318 414 $ CAD • Aiken, SC 29801



Certaines informations ont été traduites automatiquement.
FAITS SAILLANTS DE L'INVESTISSEMENT
- Terrain d'angle de 1,4 acre
- Côté ouest d'Aiken
- Près de Walmart et de nombreuses autres entreprises
- RUD zoné
FAITS SUR LA PROPRIÉTÉ
1 LOT DISPONIBLE
Lot
| Prix | 318 414 $ CAD | Taille du lot | 1,41 AC |
| Prix par AC | 225 825,75 $ CAD |
| Prix | 318 414 $ CAD |
| Prix par AC | 225 825,75 $ CAD |
| Taille du lot | 1,41 AC |
De l'Interstate-20, sortie #11, chemin Bettis Academy. Allez vers le sud en direction de Graniteville. Tournez à gauche sur la route du lac Açauga en direction du centre-ville d'Aiken. Puis Trolly Line Road, Gregg Highway, Augusta Aiken Rd, puis University Parkway. La propriété sera sur la gauche.
DESCRIPTION
Ce terrain de 1,4 acre est stratégiquement situé dans l'ouest d'Aiken, à quelques centaines de verges des campus du collège USC-Aiken et du centre médical régional d'Aiken. Il se trouve à l'angle de University Parkway et de University Lane. De l'autre côté de la rue se trouve un centre commercial avec des entreprises de services et une sandwicherie. Dans les environs immédiats se trouvent de nombreux établissements médicaux et un Zaxby's, et au sud de la propriété se trouve un Walmart Superstore ainsi que de nombreux petits magasins locataires. La propriété adjacente à l'ouest est occupée par un service d'ambulance. Cette parcelle se trouve dans le comté d'Aiken et est actuellement zonée RUD selon les registres du comté d'Aiken.
Impôts fonciers
| Numéro de lot | 087-19-10-001 | Évaluation des bâtiments | 0 $ CAD |
| Évaluation du terrain | 22 843 $ CAD | Évaluation totale | 22 843 $ CAD |
Impôts fonciers
Présenté par
225 University Pky - 1.4 acres University Pkwy & University Lane
Hmm, il semble y avoir eu une erreur lors de l’envoi de votre message. Veuillez réessayer.
Merci! Votre message a été envoyé.
