Se Connecter/S’inscrire
Votre courriel a été envoyé.
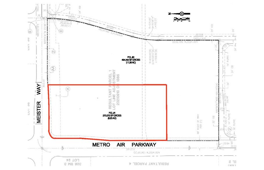
2264 Meister Way - Metro Gateway Lot • Terrain commercial • 17,5 Acres • Sacramento, CA 95835



Certaines informations ont été traduites automatiquement.
RÉSUMÉ DE L'ANNONCE
17,5 Acres de terrain commercial à vendre !
Adjacent à l'aéroport international de Sacramento
Idéal pour :
-Centres commerciaux et commerciaux
-Entreprises d'accueil et d'hébergement
-Carrefours technologiques et d'innovation
Adjacent à l'aéroport international de Sacramento
Idéal pour :
-Centres commerciaux et commerciaux
-Entreprises d'accueil et d'hébergement
-Carrefours technologiques et d'innovation
FAITS SUR LA PROPRIÉTÉ
1 LOT DISPONIBLE
Lot
| Taille du lot | 17,50 AC |
| Taille du lot | 17,50 AC |
1 1
Impôts fonciers
| Numéro de lot | 201-1020-146 | Évaluation des bâtiments | 0 $ CAD |
| Évaluation du terrain | 9 493 067 $ CAD | Évaluation totale | 9 493 067 $ CAD |
Impôts fonciers
Numéro de lot
201-1020-146
Évaluation du terrain
9 493 067 $ CAD
Évaluation des bâtiments
0 $ CAD
Évaluation totale
9 493 067 $ CAD
1 de 9
VIDÉOS
VISITE EXTÉRIEURE 3D MATTERPORT
VISITE 3D MATTERPORT
PHOTOS
VUE DEPUIS LA RUE
RUE
CARTE
1 de 1
Présenté par
2264 Meister Way - Metro Gateway
Vous êtes déjà membre? Connectez-vous
Hmm, il semble y avoir eu une erreur lors de l’envoi de votre message. Veuillez réessayer.
Merci! Votre message a été envoyé.
