Votre courriel a été envoyé.
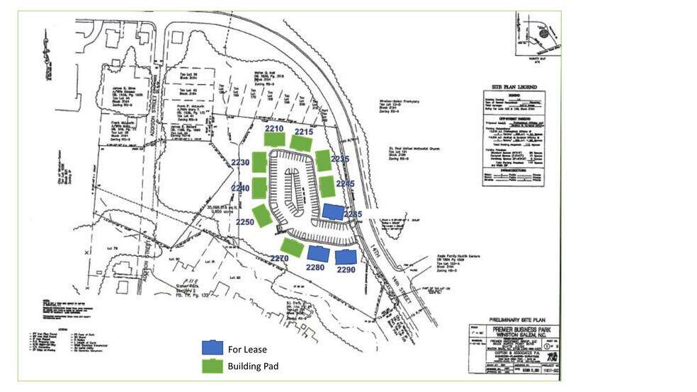
2290 Premier Park Ln Terrain à louer de 0,06–0,23 acres • Terrain commercial • Winston-Salem, NC 27105



Certaines informations ont été traduites automatiquement.
Faits saillants
- Neighborhood area, opportunity zone, near main interstates
- Build to suite
- Unserved community access
LOT Disponible
Afficher les taux de location en
| Taux de location |
|
Taille du lot | 0,06 à 0,23 AC |
| Durée du bail | 10 ans |
| Taux de location | |
| Durée du bail | 10 ans |
| Taille du lot | 0,06 à 0,23 AC |
2500 and up to 10,000 square feet for ground lease
Aperçu de la propriété
Premier Park OPP NC LLC | 2285 Premier Park Lane, Winston-Salem, NC 27105 Rare build-to-suit healthcare development opportunity on 6.92 acres of commercially zoned land in Winston-Salem, North Carolina. This shovel-ready site carries dual federal designations as a Federally Designated Qualified Opportunity Zone (QOZ) and a Medically Underserved Area (MUA) — unlocking powerful tax incentives for investors and federal grant eligibility for healthcare operators. Build-to-Suit Available. The property owner will design and construct a facility to the tenant's or investor's exact clinical, regulatory, and operational specifications. Long-term NNN lease structures available upon completion. Suitable for a wide range of healthcare uses including urgent care, primary care, specialty medicine, dialysis/kidney care, dental, behavioral health, rehabilitation, senior care, or an integrated multi-tenant health campus. Location & Market. Positioned in a high-traffic commercial corridor in Winston-Salem, a growing Southeast healthcare market anchored by two major hospital systems — Atrium Health Wake Forest Baptist and Novant Health. The MUA designation reflects documented, unmet patient demand in the immediate service area, providing anchor tenants with a built-in, loyal patient base from day one. Investment Highlights: 6.92 acres | Commercially zoned | Shovel-ready Federally Designated Qualified Opportunity Zone — 10-year tax-free appreciation Medically Underserved Area — federal grants and loan programs available Build-to-suit | NNN lease | Flexible deal structure Projected post-development annual revenue: $250,000+ Foreign investor and EB-5 compatible Contact: Kenya Bolivar Thornton, Managing Member ?? 336-682-2331 | ?? premierparknc@gmail.com
Faits sur la propriété
Présenté par
Premier Park Opp, LLC
2290 Premier Park Ln
Hmm, il semble y avoir eu une erreur lors de l’envoi de votre message. Veuillez réessayer.
Merci! Votre message a été envoyé.
