Se Connecter/S’inscrire
Votre courriel a été envoyé.
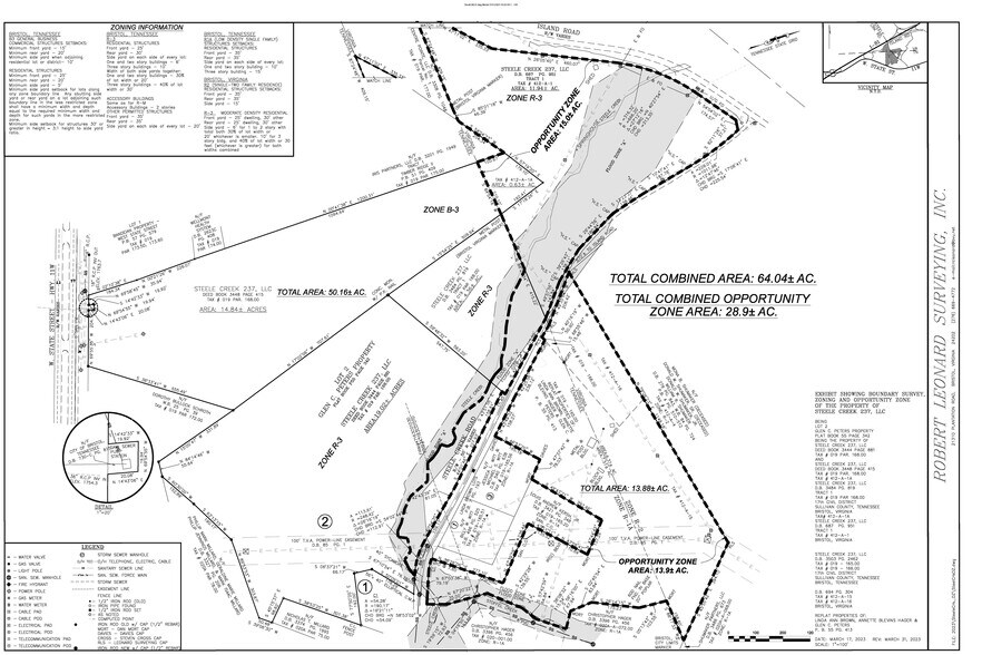
237 Steele Creek rd - Steel Creek Development Lot • Résidentiel • 64,34 Acres • Bristol, TN 37620



Certaines informations ont été traduites automatiquement.
Résumé de l'annonce
This 64.34 acre land opportunity at 237 Steele Creek Rd in Bristol, TN offers a rare, large-scale site with flexibility for residential, multifamily, or mixed-density development. The size and layout allow for multiple strategies, including single-family, townhomes, apartments, or a phased master-planned community. Bristol, TN is experiencing steady population growth, increasing from its 2020 base to approximately 27,867 residents in 2024, signaling sustained housing demand. Household incomes are also rising, with a median household income of roughly $55,000, supporting both for-sale and rental product. The market benefits from strong regional drivers such as Bristol Motor Speedway and the newly opened Hard Rock Casino, which continue to attract jobs, tourism, and infrastructure investment. Combined with a business-friendly, pro-growth environment, this site presents a compelling opportunity to invest in a growing and increasingly diversified Bristol market.
Faits sur la propriété
| Type de vente | Investissement | Sous-type de propriété | Résidentiel |
| Nombre de lots | 1 | Utilisation proposée | |
| Type de propriété | Terrain | Taille totale du lot | 64,34 AC |
| Type de vente | Investissement |
| Nombre de lots | 1 |
| Type de propriété | Terrain |
| Sous-type de propriété | Résidentiel |
| Utilisation proposée | |
| Taille totale du lot | 64,34 AC |
1 Lot disponible
Lot
| Taille du lot | 64,34 AC |
| Taille du lot | 64,34 AC |
64.34 Acres near heart of Bristol TN Based on initial density analysis, it has been determined that the combined parcels along with current zoning, could yield a 600+/- multifamily units.
Plutôt praticable à pied
30/100
Exceptionnellement facile d’accès en voiture
100/100
Plutôt praticable en vélo
40/100
1 de 5
Vidéos
Visite extérieure 3D Matterport
Visite 3D Matterport
Photos
Vue depuis la rue
Rue
Carte
Présenté par
237 Steele Creek rd - Steel Creek Development
Vous êtes déjà membre? Connectez-vous
Hmm, il semble y avoir eu une erreur lors de l’envoi de votre message. Veuillez réessayer.
Merci! Votre message a été envoyé.

