Se Connecter/S’inscrire
Votre courriel a été envoyé.
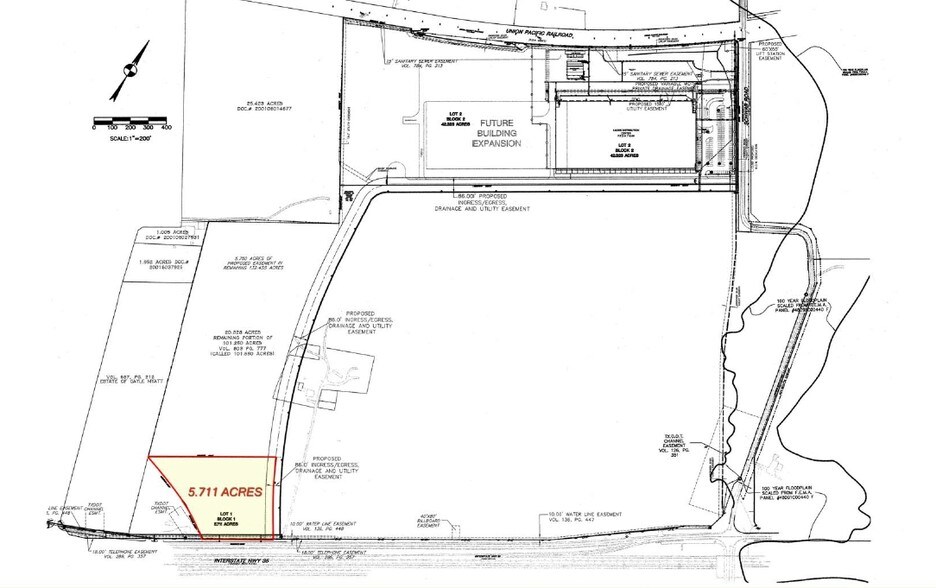
23755 N Interstate 35 - ±5.71 Acres | IH-35 & Schwab Lot • Ferme • 5,71 Acres • 2 762 905 $ CAD • New Braunfels, TX 78132



Certaines informations ont été traduites automatiquement.
FAITS SUR LA PROPRIÉTÉ
| Prix | 2 762 905 $ CAD | Sous-type de propriété | Ferme |
| Type de vente | Investissement | Utilisation proposée | Agricole |
| Nombre de lots | 1 | Taille totale du lot | 5,71 AC |
| Type de propriété | Terrain | ||
| Zonage | Commercial | ||
| Prix | 2 762 905 $ CAD |
| Type de vente | Investissement |
| Nombre de lots | 1 |
| Type de propriété | Terrain |
| Sous-type de propriété | Ferme |
| Utilisation proposée | Agricole |
| Taille totale du lot | 5,71 AC |
| Zonage | Commercial |
1 LOT DISPONIBLE
Lot 1
| Prix | 2 762 905 $ CAD | Taille du lot | 5,71 AC |
| Prix par AC | 483 871,26 $ CAD |
| Prix | 2 762 905 $ CAD |
| Prix par AC | 483 871,26 $ CAD |
| Taille du lot | 5,71 AC |
1 1
1 de 7
VIDÉOS
VISITE EXTÉRIEURE 3D MATTERPORT
VISITE 3D MATTERPORT
PHOTOS
VUE DEPUIS LA RUE
RUE
CARTE
1 de 1
Présenté par
23755 N Interstate 35 - ±5.71 Acres | IH-35 & Schwab
Vous êtes déjà membre? Connectez-vous
Hmm, il semble y avoir eu une erreur lors de l’envoi de votre message. Veuillez réessayer.
Merci! Votre message a été envoyé.
