Se Connecter/S’inscrire
Votre courriel a été envoyé.
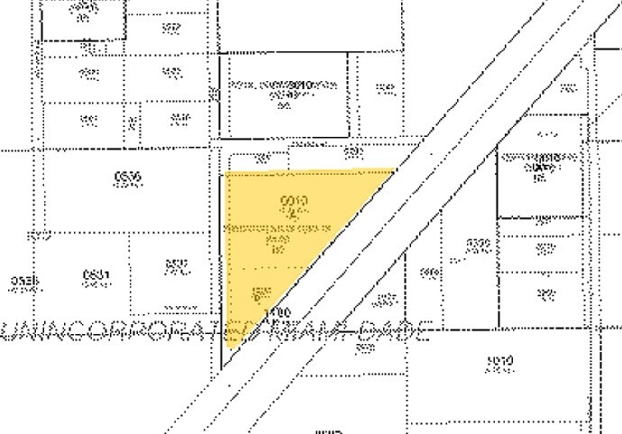
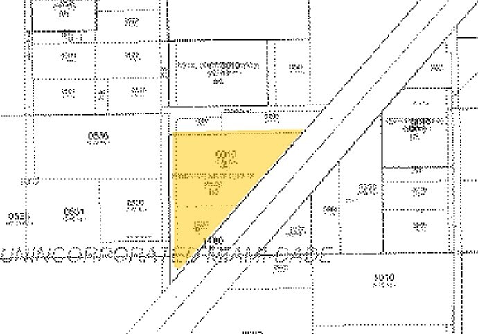
23911 SW 132 Ave Lot • Terrain commercial • 4,59 Acres • 40 909 799 $ CAD • Homestead, FL 33032

Certaines informations ont été traduites automatiquement.
Résumé de l'annonce
The property at 23911 SW 132 Ave is a vacant land parcel in the Princeton area of Homestead. The lot is identified strictly as land with no structures and has been categorized on listing sites as a non-residential parcel with significant development potential given its size and location.
Faits sur la propriété
1 Lot disponible
Lot
| Prix | 40 909 799 $ CAD | Taille du lot | 4,59 AC |
| Prix par AC | 8 910 154,74 $ CAD |
| Prix | 40 909 799 $ CAD |
| Prix par AC | 8 910 154,74 $ CAD |
| Taille du lot | 4,59 AC |
This property consists of a vacant land parcel that is located in the Princeton area of Homestead, within Miami-Dade County.
1 1
Plutôt praticable à pied
30/100
Exceptionnellement facile d’accès en voiture
90/100
Transports en commun très limités
10/100
Assez praticable en vélo
30/100
Impôts fonciers
| Numéros de lot | Évaluation des bâtiments | 0 $ CAD | |
| Évaluation du terrain | 0 $ CAD | Évaluation totale | 2 427 858 $ CAD |
Impôts fonciers
Numéros de lot
Évaluation du terrain
0 $ CAD
Évaluation des bâtiments
0 $ CAD
Évaluation totale
2 427 858 $ CAD
1 de 2
Vidéos
Visite extérieure 3D Matterport
Visite 3D Matterport
Photos
Vue depuis la rue
Rue
Carte
1 de 1
Présenté par
23911 SW 132 Ave
Vous êtes déjà membre? Connectez-vous
Hmm, il semble y avoir eu une erreur lors de l’envoi de votre message. Veuillez réessayer.
Merci! Votre message a été envoyé.
