Se Connecter/S’inscrire
Votre courriel a été envoyé.
Certaines informations ont été traduites automatiquement.
Faits saillants de l'investissement
- Directement en face de Walmart sur la I-44
- Beaucoup de façade
- Droit du I-44
- Sera subdiviser
Résumé de l'annonce
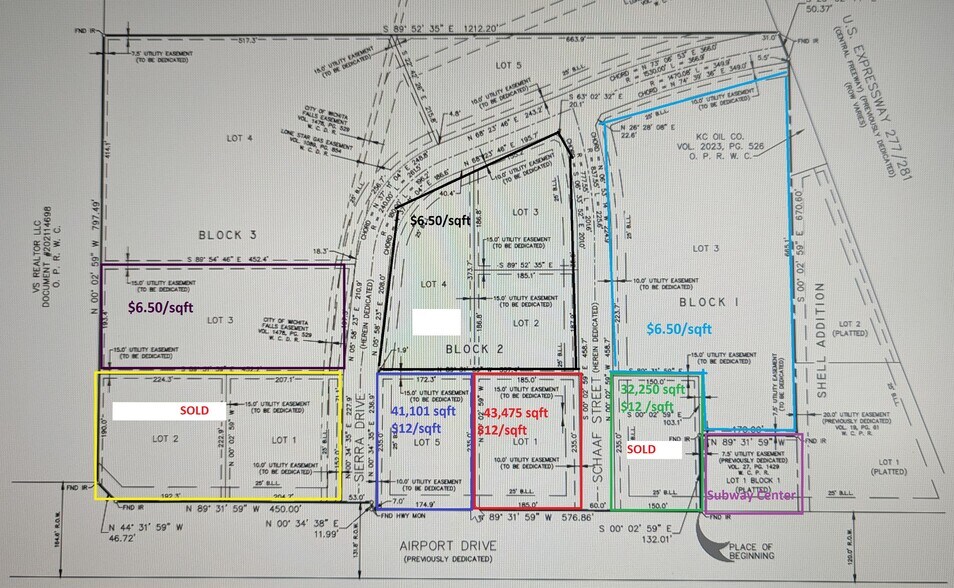
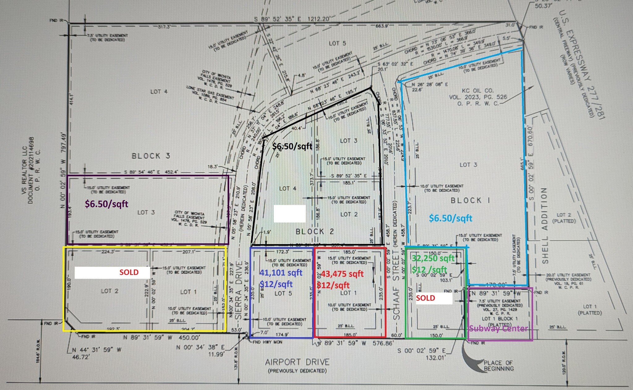
Dernier site de développement à côté de Wamart. 1 000 pieds de façade directement en face de Walmart. Sera subdivisée. Lots au prix de 12 $pi² (promenade avant de l'aéroport), 6,50 $/pi2 (juste derrière la façade) et 3,75 $/pied carré (lots norde/terrain)
Faits sur la propriété
1 Lot disponible
Lot
| Taille du lot | 24,30 AC |
| Taille du lot | 24,30 AC |
Environ 1 000 pi X 1 000 avec 1 000 pi de façade sur le chemin de l'aéroport en face de Super Walmart
Description
Dernier site de développement près de Wamart. 1 000 pi de façade directement en face de Walmart. La sous-division sera divisée. Lots au prix de 12 $/pi2 (promenade Aéroport frontale), 6,50 $/pi2 (juste derrière la façade) et 3,75 $/pi2 (lots du Nord/terrain)
1 1
1 de 2
Vidéos
Visite extérieure 3D Matterport
Visite 3D Matterport
Photos
Vue depuis la rue
Rue
Carte
1 de 1
Présenté par
2400 Airport Dr - Airport Drive
Vous êtes déjà membre? Connectez-vous
Hmm, il semble y avoir eu une erreur lors de l’envoi de votre message. Veuillez réessayer.
Merci! Votre message a été envoyé.

