Se Connecter/S’inscrire
Votre courriel a été envoyé.
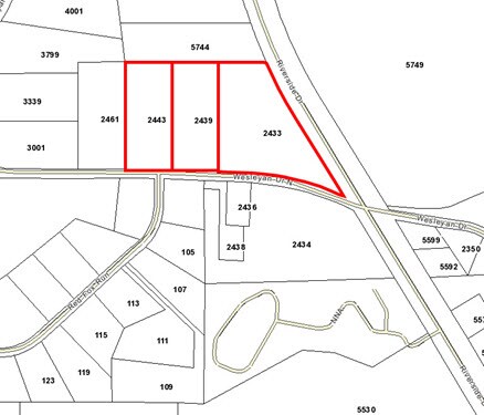
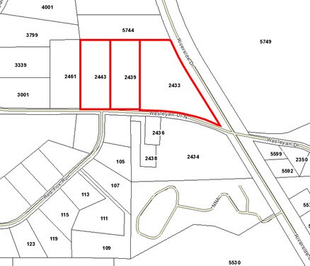
2433 Wesleyan Dr N
Macon-Bibb, GA 31210
Birchwood Subdivision Lots · Terrain À vendre
·
19,67 AC


Certaines informations ont été traduites automatiquement.
Résumé de l'annonce
Les lots peuvent être vendus séparément.
Situé à l'intersection de la promenade N Wesleyan et de la promenade Riverside, à proximité de l'Interstate 75 (sorties 171 et 172), de Bass Road et de The Shoppes at River Crossing.
Situé à l'intersection de la promenade N Wesleyan et de la promenade Riverside, à proximité de l'Interstate 75 (sorties 171 et 172), de Bass Road et de The Shoppes at River Crossing.
Faits sur la propriété
| Type de vente | Investissement | Sous-type de propriété | Résidentiel |
| Nombre de lots | 1 | Utilisation proposée | |
| Type de propriété | Terrain | Taille totale du lot | 19,67 AC |
| Zonage | SFR - Résidence unifamiliale | ||
| Type de vente | Investissement |
| Nombre de lots | 1 |
| Type de propriété | Terrain |
| Sous-type de propriété | Résidentiel |
| Utilisation proposée | |
| Taille totale du lot | 19,67 AC |
| Zonage | SFR - Résidence unifamiliale |
1 Lot disponible
Lot
| Taille du lot | 19,67 AC |
| Taille du lot | 19,67 AC |
2433, promenade Wesleyan N — 9,67 acres ; 160 000$ ; 2439 promenade Wesleyan Nord — 5 acres ; 95 000$ 2443$, promenade Wesleyan N — 5 acres ; 95 000$
Description
Entents de protection en place. Eau disponible en ville.
1 de 3
Vidéos
Visite extérieure 3D Matterport
Visite 3D Matterport
Photos
Vue depuis la rue
Rue
Carte
